New Search Family, Subfamily and Tribe List
new world both worldsboth worlds old world
Family Cerambycinae
SubFamily Cerambycinae
Tribe Stenopterini

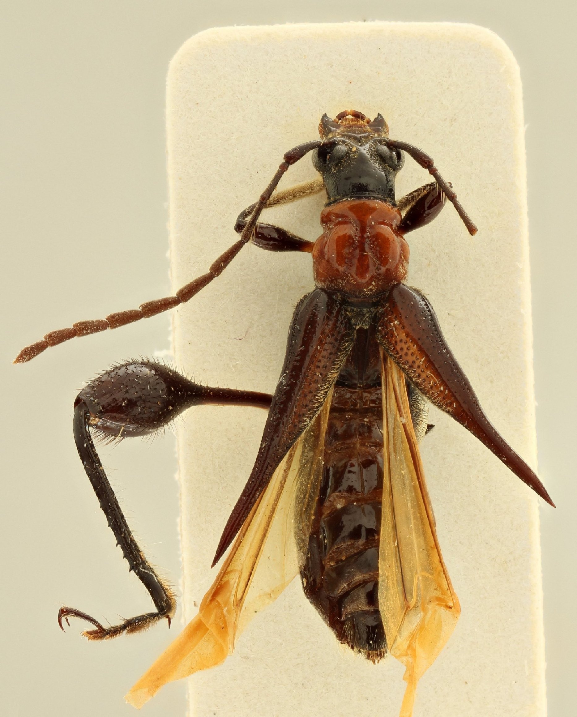
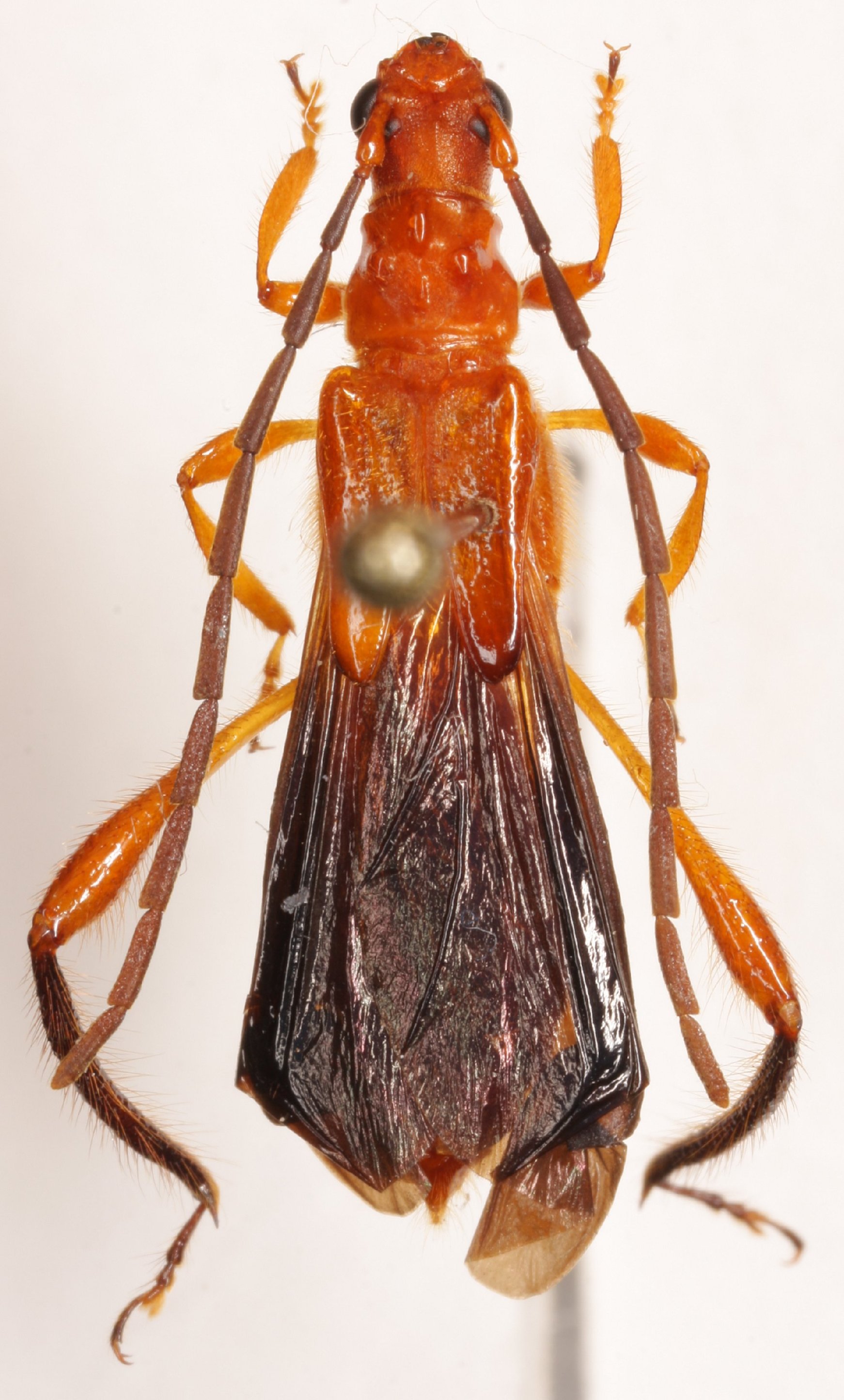
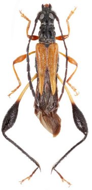
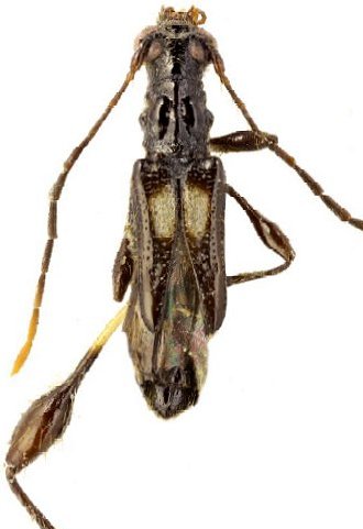
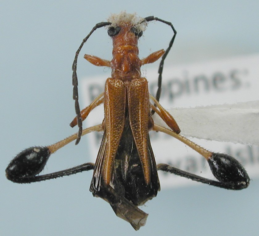
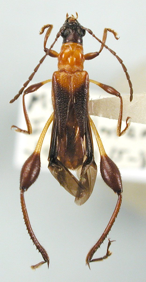
Genus Merionoeda


Merionoeda
acuta


Merionoeda
acutipennis


Merionoeda
adjecta


Merionoeda
adnata


Merionoeda
aequalis


Merionoeda
africana
aethiopica


Merionoeda
africana
africana


Merionoeda
aggregata

Merionoeda
amabilis
 
Merionoeda
andrewsei
 

Merionoeda
anulus


Merionoeda
anulus
atra


Merionoeda
apicicornis


Merionoeda
apicifusca


Merionoeda
argentata


Merionoeda
atriceps

Merionoeda
atricollis
 

Merionoeda
atricolor


Merionoeda
aurorensis


Merionoeda
australiae


Merionoeda
baliana


Merionoeda
baliosmerion


Merionoeda
baoshana

Merionoeda
barligi
 
Merionoeda
basalis
 

Merionoeda
borodinae


Merionoeda
brachyptera


Merionoeda
caelata


Merionoeda
calcarata


Merionoeda
caldwelli


Merionoeda
callifera


Merionoeda
cariniger


Merionoeda
catoxelytra


Merionoeda
childersi


Merionoeda
clara


Merionoeda
clunis


Merionoeda
coerulea

Merionoeda
congolensis
 

Merionoeda
consonaria


Merionoeda
curtipennis


Merionoeda
danilevskyi


Merionoeda
distinctipes


Merionoeda
dulcis


Merionoeda
dumosa


Merionoeda
eburata
eburata


Merionoeda
eburata
atratula


Merionoeda
evidens


Merionoeda
falsa


Merionoeda
falsidica

Merionoeda
flavipennis
 
Merionoeda
flavitarsis
 
Merionoeda
flavitarsis
biakensis 

Merionoeda
formosana
burkwalli


Merionoeda
formosana
formosana


Merionoeda
formosana
iriomotensis


Merionoeda
formosana
okinawana


Merionoeda
formosana
rubriventris


Merionoeda
formosana
septentrionalis


Merionoeda
fulvicollis


Merionoeda
fulvipennis

Merionoeda
fulvonotata
 

Merionoeda
fusca


Merionoeda
glabra


Merionoeda
hasta


Merionoeda
hebes


Merionoeda
hendrai


Merionoeda
hirsuta


Merionoeda
indica


Merionoeda
inopinata


Merionoeda
jeanvoinei


Merionoeda
johkii


Merionoeda
karinae


Merionoeda
kinoshitai


Merionoeda
laticornis
laticornis


Merionoeda
laticornis
kalimantana


Merionoeda
latitarsis


Merionoeda
lombokiana


Merionoeda
longicollis


Merionoeda
makiharai


Merionoeda
marginalis

Merionoeda
mehli
 

Merionoeda
melampus


Merionoeda
melanocephala

Merionoeda
melanopsis
 

Merionoeda
melichroos

Merionoeda
merocephala
 

Merionoeda
micans


Merionoeda
miranda


Merionoeda
muschenbroekii


Merionoeda
mutata


Merionoeda
neglecta


Merionoeda
nigrella


Merionoeda
nigriceps


Merionoeda
nigricollis


Merionoeda
nigroapicalis


Merionoeda
notabilis


Merionoeda
ohbayashii


Merionoeda
petramarketae


Merionoeda
phoebe


Merionoeda
pilosa


Merionoeda
planicollis


Merionoeda
pubicollis


Merionoeda
pubiventris


Merionoeda
puella
puella


Merionoeda
puella
saitorum


Merionoeda
punctatella

Merionoeda
punctifrons
 
Merionoeda
ruficollis
 

Merionoeda
rusticula


Merionoeda
scitella


Merionoeda
scutulata


Merionoeda
semenyaki


Merionoeda
seminigra


Merionoeda
similaris


Merionoeda
spadixelytra


Merionoeda
splendida


Merionoeda
subulata


Merionoeda
sumatrana


Merionoeda
takakuwai


Merionoeda
taprobanicus


Merionoeda
tosawai


Merionoeda
tuberosa


Merionoeda
unguicularis


Merionoeda
uraiensis


Merionoeda
vulpecula


Merionoeda
wayani

130503