_Gressitt_China_USNM.jpg)
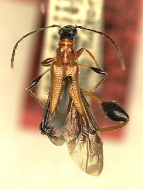
Specimen Type: holotype Institution: NMNH United States National Museum, Washington, DC, USA Photographer: Steve Lingafelter Collection Location: No-kyu-chun, Central Taiwan 52444
|

Institution: CAS California Academy of Sciences, San Francisco, CA, USA Photographer: Larry G. Bezark 52445
|