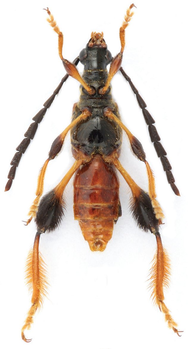
 Pic MNHN Tonkin, Vietnam now meriono XG (not forum).jpg)
Macromolorchus curtipennis Pic Specimen Type: holotype Institution: MNHN Museum of Natural History Paris, France Photographer: Xavier Gouverneur Collection Location: Tonkin, Vietnam 79736
|
 Pic MNHN Tonkin, Vietnam now meriono XG (not forum).jpg)
Macromolorchus curtipennis Pic Specimen Type: holotype Institution: MNHN Museum of Natural History Paris, France Photographer: Xavier Gouverneur Collection Location: Tonkin, Vietnam 79737
|
 Pic MNHN Tonkin, Vietnam now meriono XG (not forum).jpg)
Macromolorchus curtipennis Pic Specimen Type: holotype Institution: MNHN Museum of Natural History Paris, France Photographer: Xavier Gouverneur Collection Location: Tonkin, Vietnam 79738
|
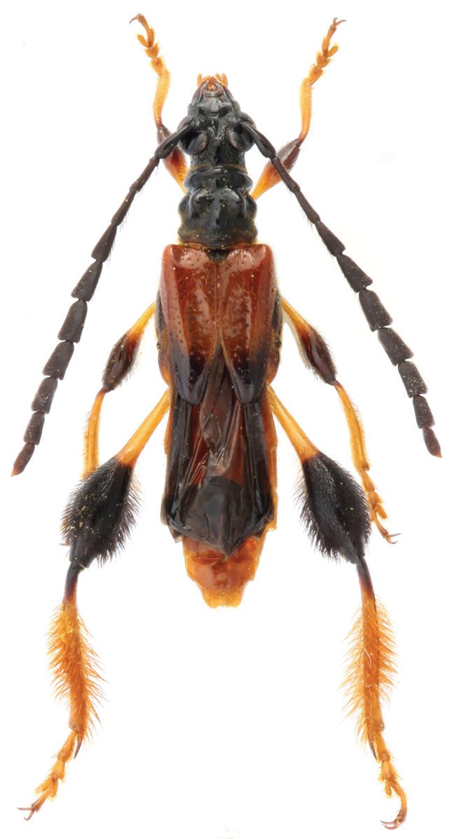
 (Pic) Dongxi vill, Shennongjia Forestry District, Hubei, China P Wang pic.jpg)
Sex: m Photographer: Ping Wang, Cerambycoidea Forum Collection Location: Dongxi vill, Shennongjia Forestry District, Hubei, China 79741
|
 (Pic) Dongxi vill, Shennongjia Forestry District, Hubei, China P Wang pic.jpg)
Sex: m Photographer: Ping Wang, Cerambycoidea Forum Collection Location: Dongxi vill, Shennongjia Forestry District, Hubei, China 79742
|
|