_Holzschuh_CHS_E_Malaysia_Borneo_Sabah_Mt_Trus_Madi.jpg)
Specimen Type: holotype Sex: m Institution: Holzschuh Collection Determiner: Entomologica Basiliensa et Collectionis Frey Collection Location: Mt. Trus-Madi, Sabah, Borneo 52384
|
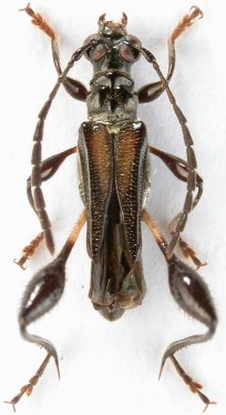
_DJH.jpg)
Specimen Type: holotype Sex: m Institution: Holzschuh Collection Photographer: Lubo Dembický Collection Location: Mt. Trus-Madi, Sabah, Borneo 52385
|