New Search Family, Subfamily and Tribe List

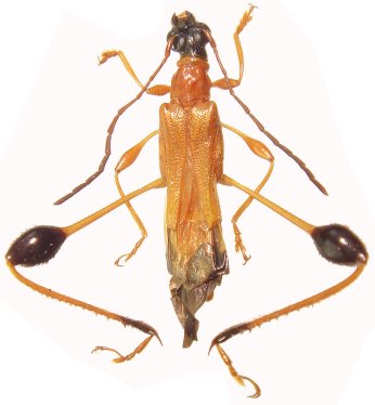
SubFamily Cerambycinae

Tribe Stenopterini
Merionoeda jeanvoinei Pic 1933

Sex: m
Photographer: Meiying Lin
Collection Location: Guangxi, China
42905

130425