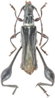
_Holz_CHS_Dong_Amphan_Annam_Highlands_Mtns_Attapeau_Prov_Laos.jpg)
Specimen Type: holotype Sex: m Institution: Holzschuh Collection Photographer: Lubo Dembický Determiner: Les Cahiers Magellanes Collection Location: Dong Amphan, Annam Highlands Mtns, Attapeau Province, Laos 58422
|
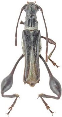
_Holz_CHS_Dong_Amphan_Annam_Highlands_Mtns_Attapeau_Prov_Laos.jpg)
Specimen Type: paratype Sex: f Institution: Holzschuh Collection Photographer: Lubo Dembický Determiner: Les Cahiers Magellanes Collection Location: Dong Amphan, Annam Highlands Mtns, Attapeau Province, Laos 58423
|