_Holzschuh_CHS_NE_Laos_Hua_Phan_Prov_Ban_Saluei_Phou_Pan.jpg)
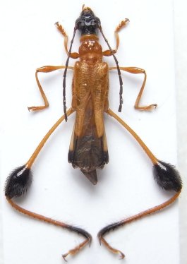
Specimen Type: holotype Sex: m Institution: Holzschuh Collection Collection Location: Ban Saluei, Phou Pan, Hua Phan Province, Laos 52475
|

Photographer: Xavier Gouverneur, Cerambycoidea Forum Collection Location: Ban Saluei, Phou Pan, Hua Phan Province, Laos 52476
|