New Search Family, Subfamily and Tribe List

SubFamily Cerambycinae

Tribe Stenopterini
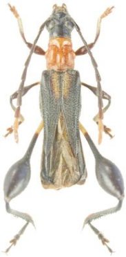
Merionoeda pubiventris Holzschuh 2015

Specimen Type: holotype
Sex: f
Institution: Holzschuh Collection
Photographer: Luboš Dembický
Determiner: Les Cahiers Magellanes
Collection Location: 70 km W Kuala Rompin, Pahang, W Malaysia
58425

130425