New Search Family, Subfamily and Tribe List

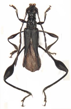
SubFamily Cerambycinae

Tribe Stenopterini
Merionoeda indica (Hope) 1831

Photographer: Meiying Lin
42903


Photographer: Xavier Gouverneur, Cerambycoidea Forum
Collection Location: Hua Phan, NE Laos
52458


Sex: m
Photographer: Meiying Lin
Collection Location: Yunnan, China
42904

130425