_DJH.jpg)
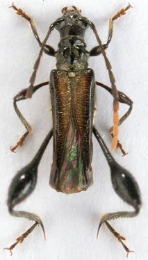
Specimen Type: holotype Sex: f Institution: Holzschuh Collection Photographer: Lubo Dembický Collection Location: Sipitang, Sabah, Borneo, Malaysia 52471
|
_Holzschuh_CHS_Sipitang_Sabah_Malaysia.jpg)
Specimen Type: holotype Sex: f Institution: Holzschuh Collection Collection Location: Sipitang, Sabah, Borneo, Malaysia 52472
|