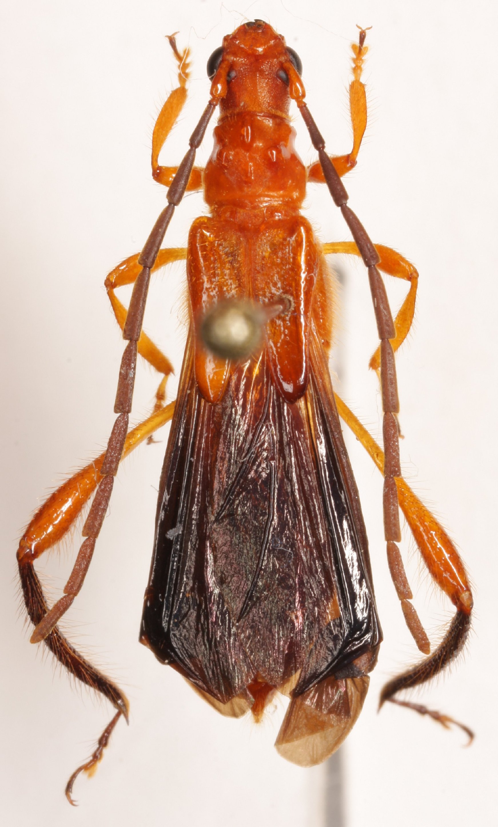
_Pascoe_BMNH_Sarawak_Borneo_LGB.jpg)
Specimen Type: syntype Sex: f Institution: BMNH British Museum Natural History, London, UK Photographer: Larry G. Bezark Collection Location: Sarawak, Borneo 48337
|

Institution: Heffern Collection Photographer: Dan Heffern Collection Location: Sabah, Borneo 71868
|