_splendida_(h-f)_Beij_Ag_Univ_Hua_Ping_Guangxi_China_Li_Chen_pic.jpg)
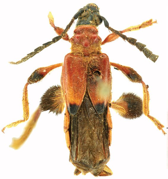
Specimen Type: holotype Sex: f Institution: Beijing Agricultural University Photographer: Li Chen Collection Location: Hua Ping, Guangxi Province, China 70688
|
_splendida_(h-f-labels)_Beij_Ag_Univ_Hua_Ping_Guangxi_China_Li_Chen_pic.jpg)
Specimen Type: holotype Sex: f Institution: Beijing Agricultural University Photographer: Li Chen Collection Location: Hua Ping, Guangxi Province, China 70689
|