New Search Family, Subfamily and Tribe List

SubFamily Cerambycinae

Tribe Stenopterini
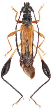
Merionoeda wayani Niisato & Yokoi 2008

Sex: m
Determiner: Elytra, Tokyo
59071

130425