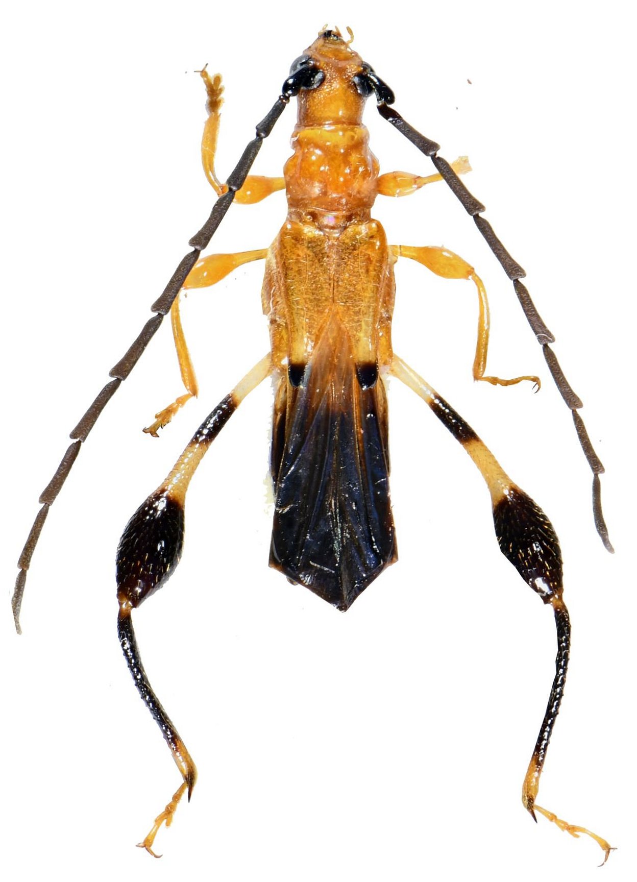
_Gressitt_Rond_BPBM_Nobuo_Ohbay.jpg)
Specimen Type: holotype Sex: m Institution: BPBM Bernice P. Bishop Museum, Honolulu, Hawaii, USA Photographer: Nobuo Ohbayashi Collection Location: Paklay, Sayaboury Province, Laos 44664
|

Institution: Duy Tan University Collection Location: Da Nang, Vietnam 76850
|