New Search Family, Subfamily and Tribe List

SubFamily Cerambycinae

Tribe Stenopterini
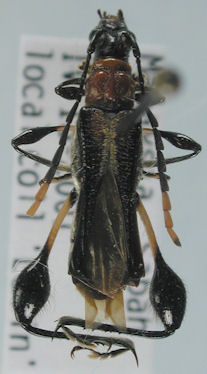
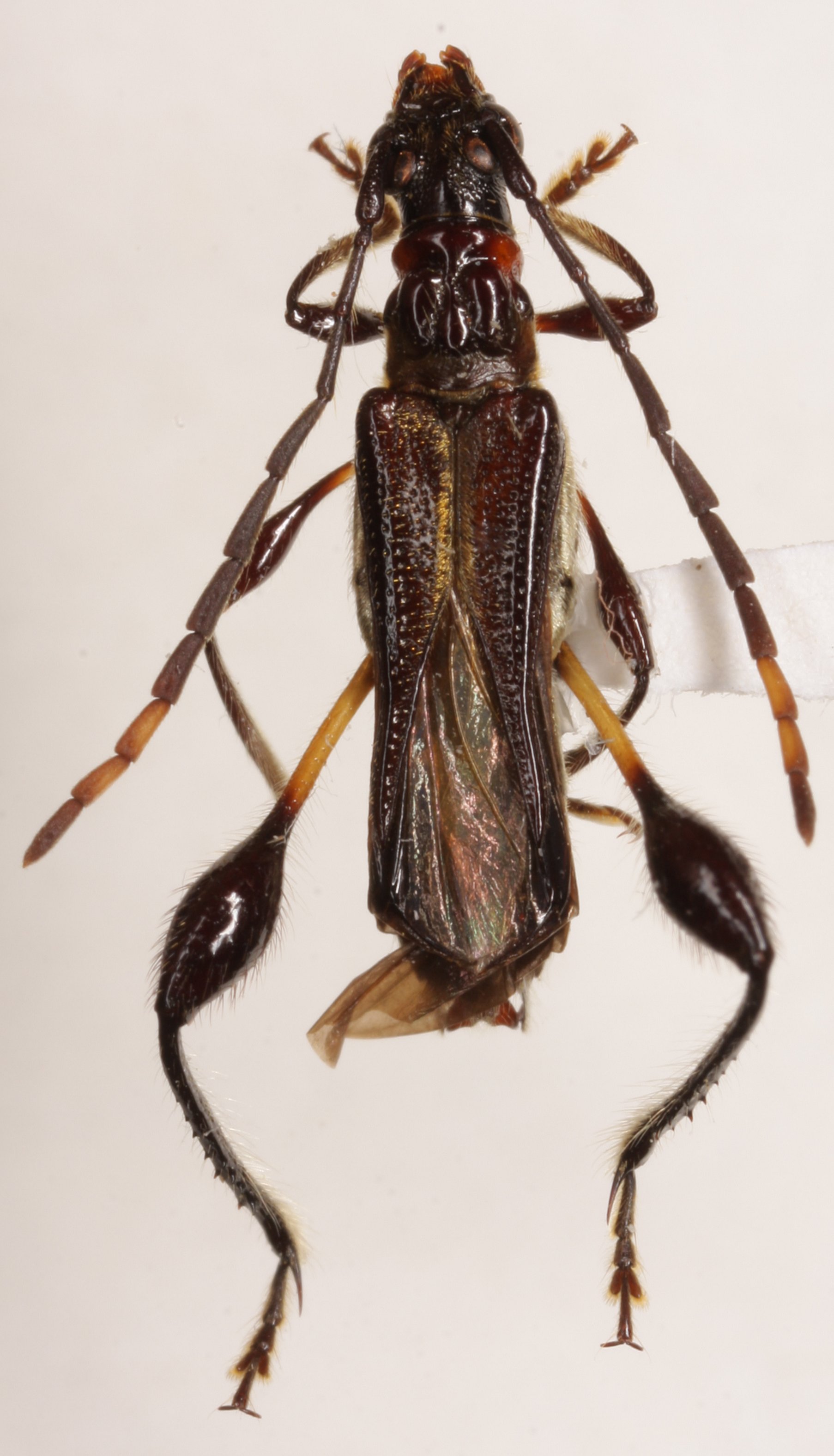
Merionoeda subulata Pascoe 1869

Specimen Type: syntype
Institution: BMNH British Museum Natural History, London, UK
Collection Location: Sarawak, Borneo
52497


Photographer: Larry G. Bezark
Determiner: Holzschuh
Collection Location: Sabah, Borneo
52498


Institution: Heffern Collection
Photographer: Dan Heffern
Collection Location: Sabah, Borneo
71878

130425