New Search Family, Subfamily and Tribe List

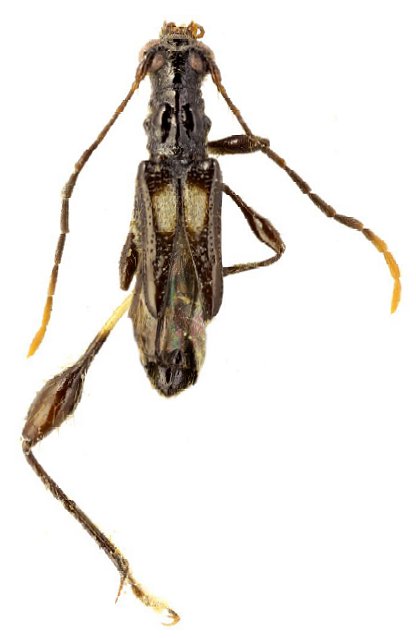
SubFamily Cerambycinae

Tribe Stenopterini
Merionoeda borodinae Barševskis & Medina 2021

Specimen Type: paratype
Institution: DUBC Daugavpils University, Coleopterological Research Center, Latvia
Photographer: Arvids Barševskis
Collection Location: Roxas, Palawan, Philippines
90378

130425