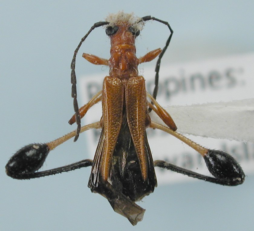
 Bark Medina DUBC Roxas, Palawan, Philippines.jpg)
Specimen Type: paratype Institution: DUBC Daugavpils University, Coleopterological Research Center, Latvia Photographer: Arvids Barševskis Collection Location: Roxas, Palawan, Philippines 90377
|

Specimen Type: topotype Institution: LGBC Larry G. Bezark Collection, Sacramento, California, USA Photographer: Larry G. Bezark Determiner: Milton Medina Collection Location: Roxas, Palawan Island, Philippines 90279
|

Specimen Type: topotype Institution: LGBC Larry G. Bezark Collection, Sacramento, California, USA Photographer: Larry G. Bezark Determiner: Milton Medina Collection Location: Roxas, Palawan Island, Philippines 90277
|

Specimen Type: topotype Institution: LGBC Larry G. Bezark Collection, Sacramento, California, USA Photographer: Larry G. Bezark Determiner: Milton Medina Collection Location: Roxas, Palawan Island, Philippines 90278
|
|