
Institution: CAS California Academy of Sciences, San Francisco, CA, USA Photographer: Larry G. Bezark 52446
|

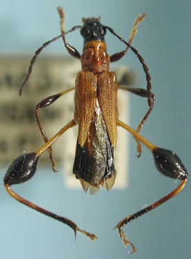
Collection Location: Japan 52447
|

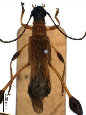
Institution: TARI Taiwan Agriculture Research Institute, Taichung Collection Location: Walami, Hualien, Taiwan 52448
|

Institution: TARI Taiwan Agriculture Research Institute, Taichung Collection Location: Taipingshan_Yilan_Datong_Taiwan 52449
|

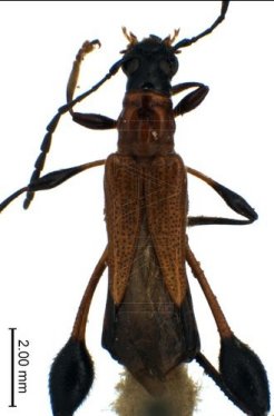
Merionoeda formosana f nigra Heller Institution: TARI Taiwan Agriculture Research Institute, Taichung Collection Location: Kueitzuchiao, Pingtung, Hengchun, Taiwan 52450
|
|