New Search Family, Subfamily and Tribe List

SubFamily Cerambycinae

Tribe Stenopterini
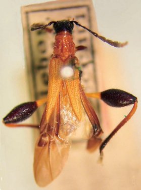
Merionoeda muschenbroekii Gestro 1877

Specimen Type: holotype
Sex: f
Institution: MSNG Museo Civico di Storia Naturale, Giacomo Doria, Genova, Italy
Photographer: Niisato
Collection Location: Kandari, Sulawesi
59066


Sex: f
Photographer: Niisato
Collection Location: Southern Sulawesi
59067

130425