_DJH.jpg)
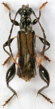
Specimen Type: holotype Sex: m Institution: Holzschuh Collection Photographer: Lubo Dembický Collection Location: Crocker Range, Sabah, Borneo 52431
|
_Holzschuh_CHS_E_Malaysia_Borneo_Sabah_Crocker_Range.jpg)
Specimen Type: holotype Sex: m Institution: Holzschuh Collection Determiner: Entomologica Basiliensa et Collectionis Frey Collection Location: Crocker Range, Sabah, Borneo 52432
|