_DJH.jpg)
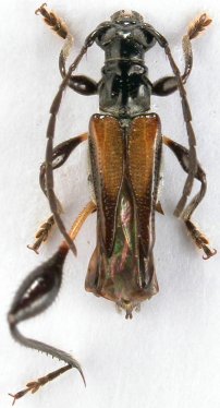
Specimen Type: holotype Sex: m Institution: Holzschuh Collection Photographer: Lubo Dembický Collection Location: Sipitang, Sabah, Borneo, Malaysia 52465
|
_Holzschuh_CHS_Sipitang_Sabah_Malaysia.jpg)
Specimen Type: holotype Sex: m Institution: Holzschuh Collection Determiner: Entomologica Basiliensa et Collectionis Frey Collection Location: Sipitang, Sabah, Borneo, Malaysia 52466
|