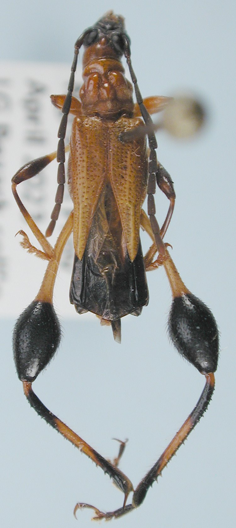
_distinctipes_(h)_Pic_MNHN_Tonkin_Vietnam_Xavier.jpg)
Specimen Type: paratypes, holotype Institution: MNHN Museum of Natural History Paris, France Photographer: © MNHN, Paris, photographie X. Gouverneur Collection Location: Tonkin, Vietnam 52377
|

Institution: LGBC Larry G. Bezark Collection, Sacramento, California, USA Photographer: Larry G. Bezark Collection Location: Nghe An Province, Vietnam 89427
|