New Search Family, Subfamily and Tribe List

SubFamily Cerambycinae

Tribe Stenopterini
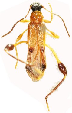
Merionoeda nigriceps (White, 1855)

Sex: m
Photographer: Meiying Lin
Collection Location: Yunnan, China
42908

130425