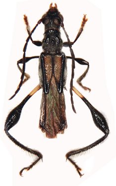
_Gressitt_Rond_BPBM_Nobuo_Ohbay.jpg)
Specimen Type: holotype Sex: m Institution: BPBM Bernice P. Bishop Museum, Honolulu, Hawaii, USA Photographer: Nobuo Ohbayashi Collection Location: Pakkading, Borikhane Province, Laos 44666
|
_Gressitt_Rondon_Yunnan_Meiying.jpg)
Sex: m Photographer: Meiying Lin Collection Location: Yunnan, China 42901
|