_DJH.jpg)
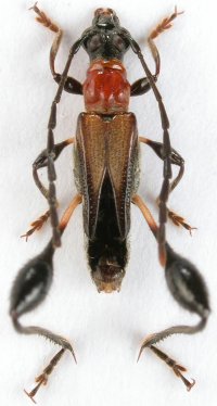
Specimen Type: holotype Sex: m Institution: Holzschuh Collection Photographer: Lubo Dembický Collection Location: Tawau, Sabah, Borneo 52454
|
_Holzschuh_CHS_E_Malaysia_Borneo_Sabah_Tawau.jpg)
Specimen Type: holotype Sex: m Institution: Holzschuh Collection Determiner: Entomologica Basiliensa et Collectionis Frey Collection Location: Tawau, Sabah, Borneo 52455
|
 Holzschuh Madi Village, Barat Prov, Mt Bawang, Kalimantan Vives coll pic.jpg)
Sex: f Institution: Vives Collection Photographer: Eduard Vives Collection Location: Madi Village, Barat Province, Mt Bawang, Kalimantan, Borneo 96937
|
|