New Search Family, Subfamily and Tribe List
new world both worldsboth worlds old world
Family
SubFamily
Tribe Disteniini

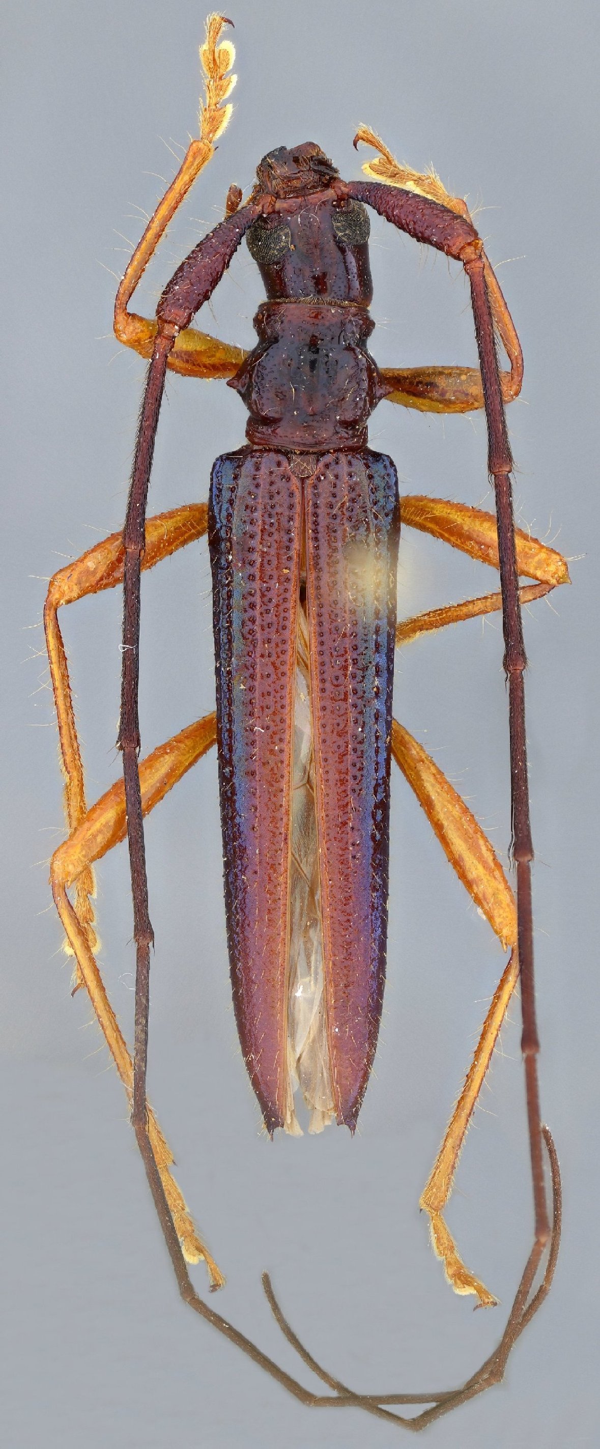
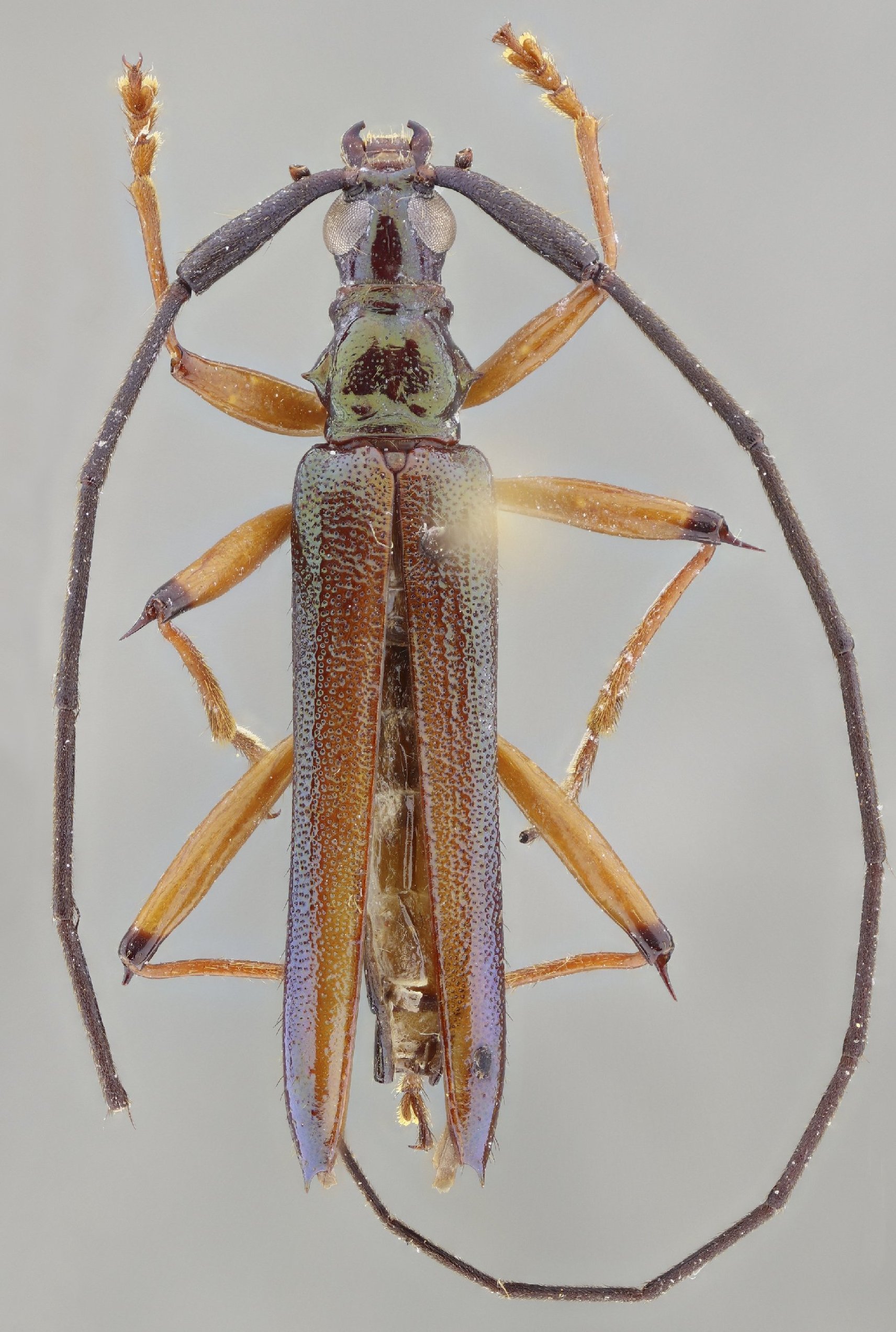
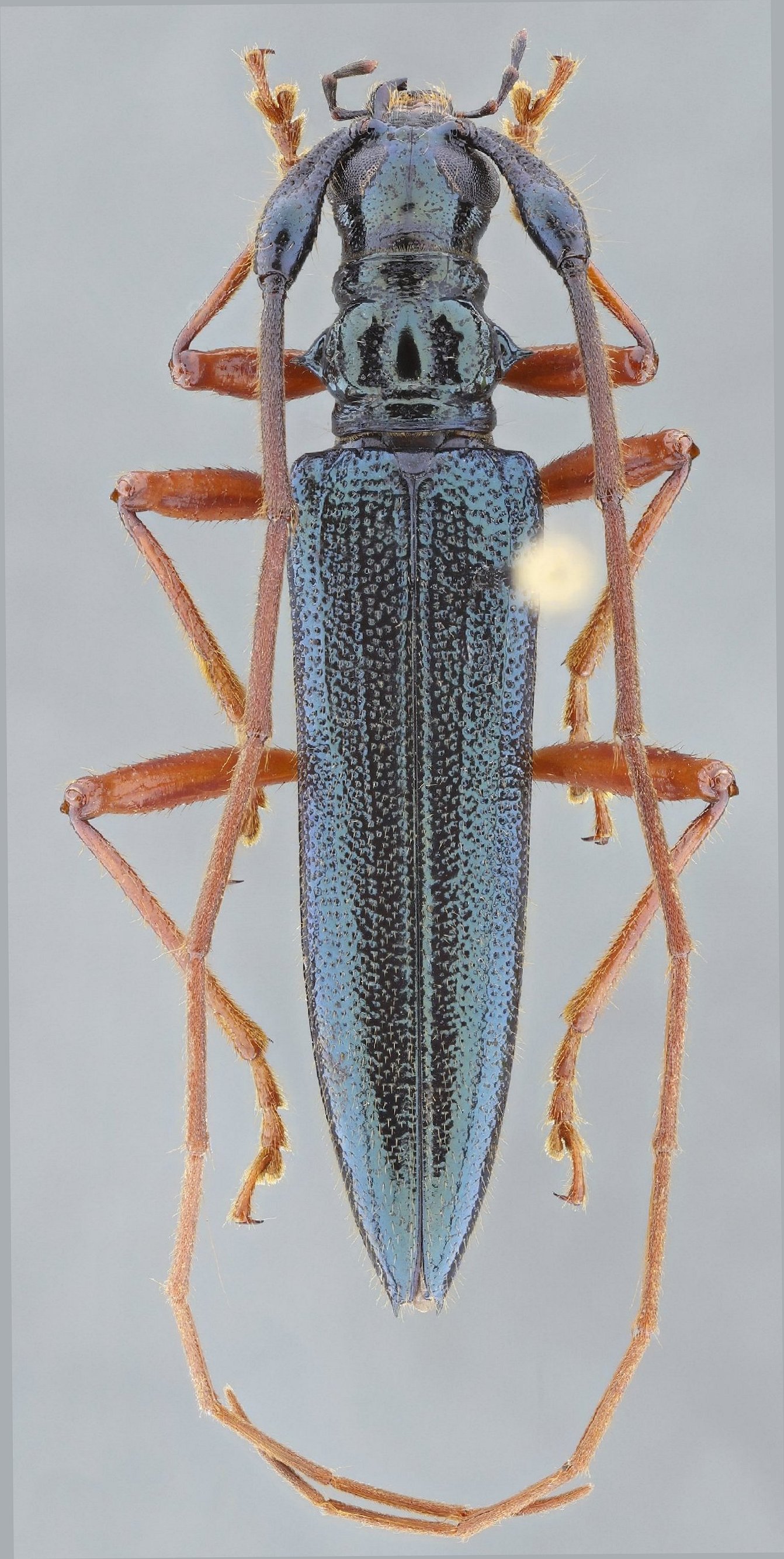
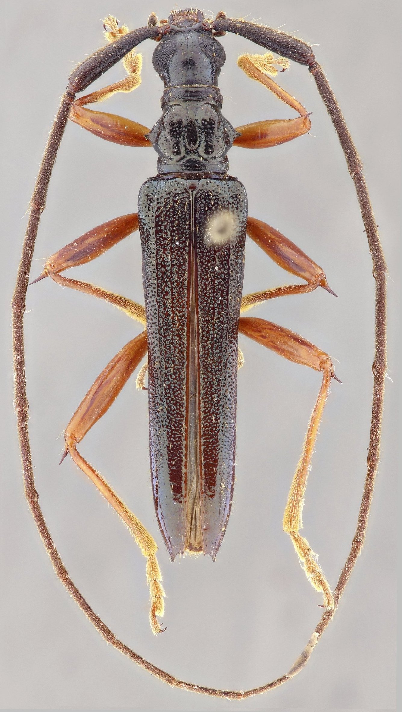
Genus Distenia


Distenia
agroides


Distenia
angustata


Distenia
annulicornis


Distenia
caerulescens


Distenia
carinata


Distenia
chaparensis


Distenia
charynae


Distenia
cinctipennis


Distenia
columbina


Distenia
cyaneipennis


Distenia
esmeralda


Distenia
fastuosa


Distenia
forcipata


Distenia
fossulata


Distenia
granulipes


Distenia
langurioides


Distenia
limbata


Distenia
macella


Distenia
marcelae


Distenia
marinonii


Distenia
mermudesi


Distenia
peninsularis


Distenia
phaeocera


Distenia
pilosa


Distenia
rufipes


Distenia
rugiscapis


Distenia
sallaei


Distenia
solangeae


Distenia
spinipennis


Distenia
splendens


Distenia
striaticollis


Distenia
suturalis


Distenia
tavakiliani


Distenia
toledoi


Distenia
turnbowi


Distenia
viridicyanea

130503