New Search Family, Subfamily and Tribe List

SubFamily

Tribe Disteniini
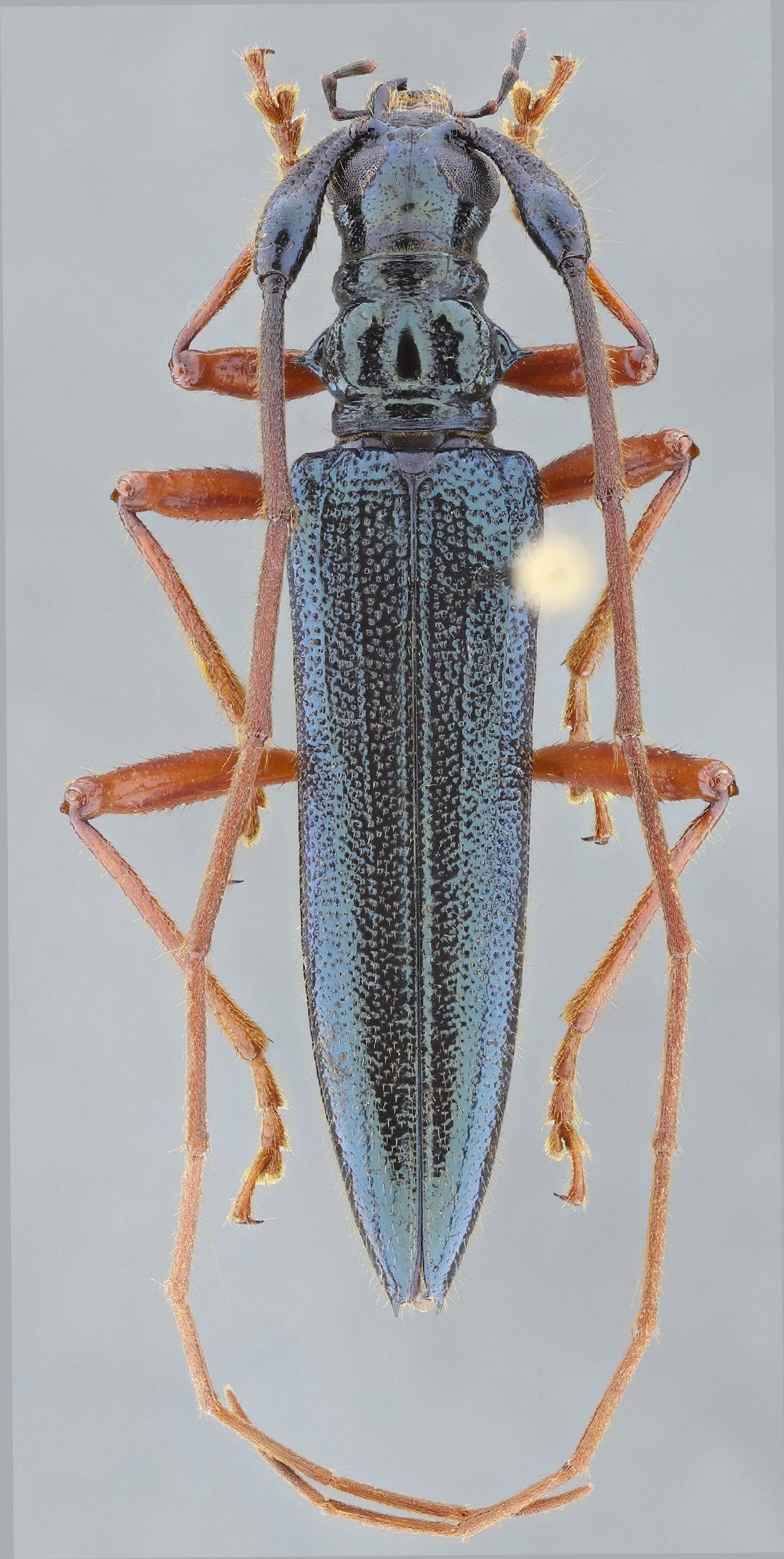
Distenia phaeocera Bates 1880

Sex: f
Photographer: Antonio Santos-Silva
Collection Location: Ojo de Agua, Finca Hartmann, Chiriqui, Panama
81751


Sex: f
22343

130425