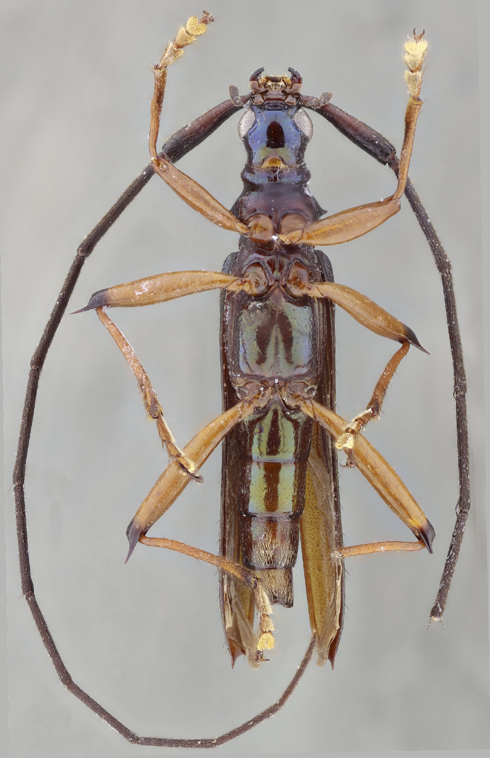
 SS Hov MZSP Santa Cruz da Serra, Rondonia, Brazil JPB SS.jpg)
Specimen Type: holotype Sex: m Institution: MZSP Museu de Zoologia da Universidade de São Paulo, Brazil Photographer: Juan Pablo Botero & Antonio Santos-Silva Collection Location: Santa Cruz da Serra, Rondonia, Brazil 96477
|
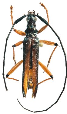
 SS Hov MZSP Santa Cruz da Serra, Rondonia, Brazil JPB SS.jpg)
Specimen Type: holotype Sex: m Institution: MZSP Museu de Zoologia da Universidade de São Paulo, Brazil Photographer: Juan Pablo Botero & Antonio Santos-Silva Collection Location: Santa Cruz da Serra, Rondonia, Brazil 96478
|