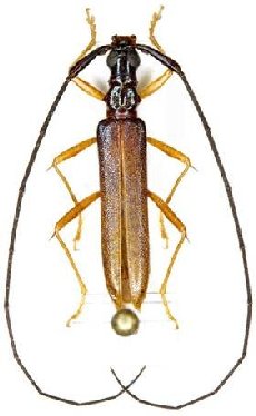
_Bates_MNHN_FTH.jpg)
Specimen Type: holotype Institution: MNHN Museum of Natural History Paris, France 16090
|

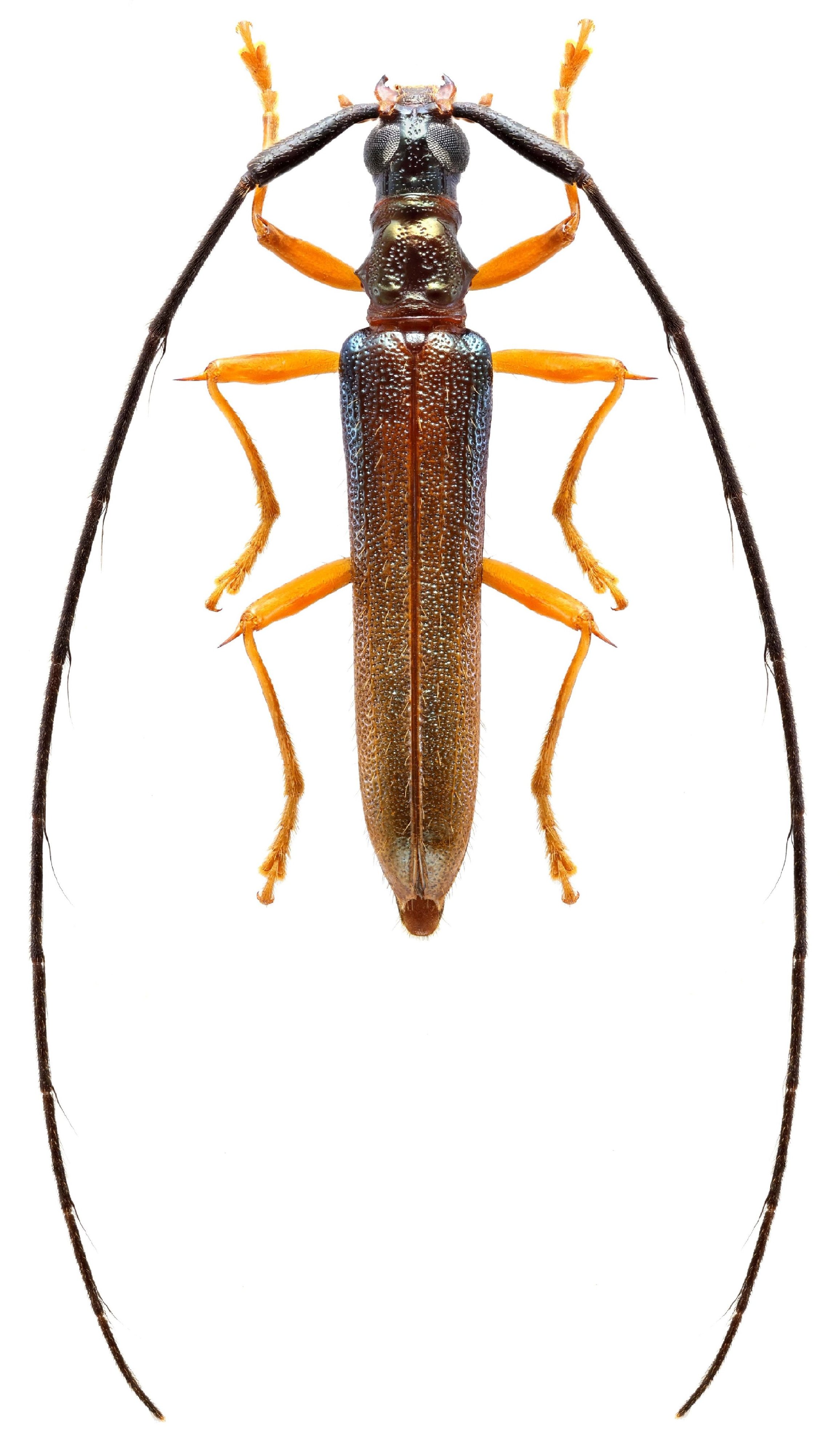
Photographer: Frédéric Robin Collection Location: Stoupan, Matoury, French Guiana 22345
|

Photographer: Jean-Louis Giuglaris Collection Location: Belizon, French Guiana 28708
|

Photographer: Denis Faure Collection Location: French Guiana 22931
|
|