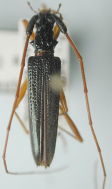
_Bates_BMNH_Chiriqui_Panama_LGB.jpg)
Specimen Type: holotype Sex: m Institution: BMNH British Museum Natural History, London, UK Photographer: Larry G. Bezark Collection Location: Chiriqui, Panama 46627
|

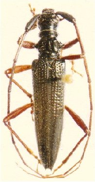
Institution: BCA Biologia Centrali Americana 6699
|

Institution: UCB Essig Museum of Entomology, Berkeley, California, USA Photographer: Larry G. Bezark Determiner: Giesbert Collection Location: Monteverde, Costa Rica 6700
|

Photographer: Larry G. Bezark 6701
|
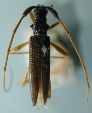
_rugiscapis_(f)_Bates_Les_Cahiers.jpg)
Sex: f 22344
|
|