 SS Hov MZSP PNN Amacayuco Matamata, Amazonas, Colombia JPB SS.jpg)
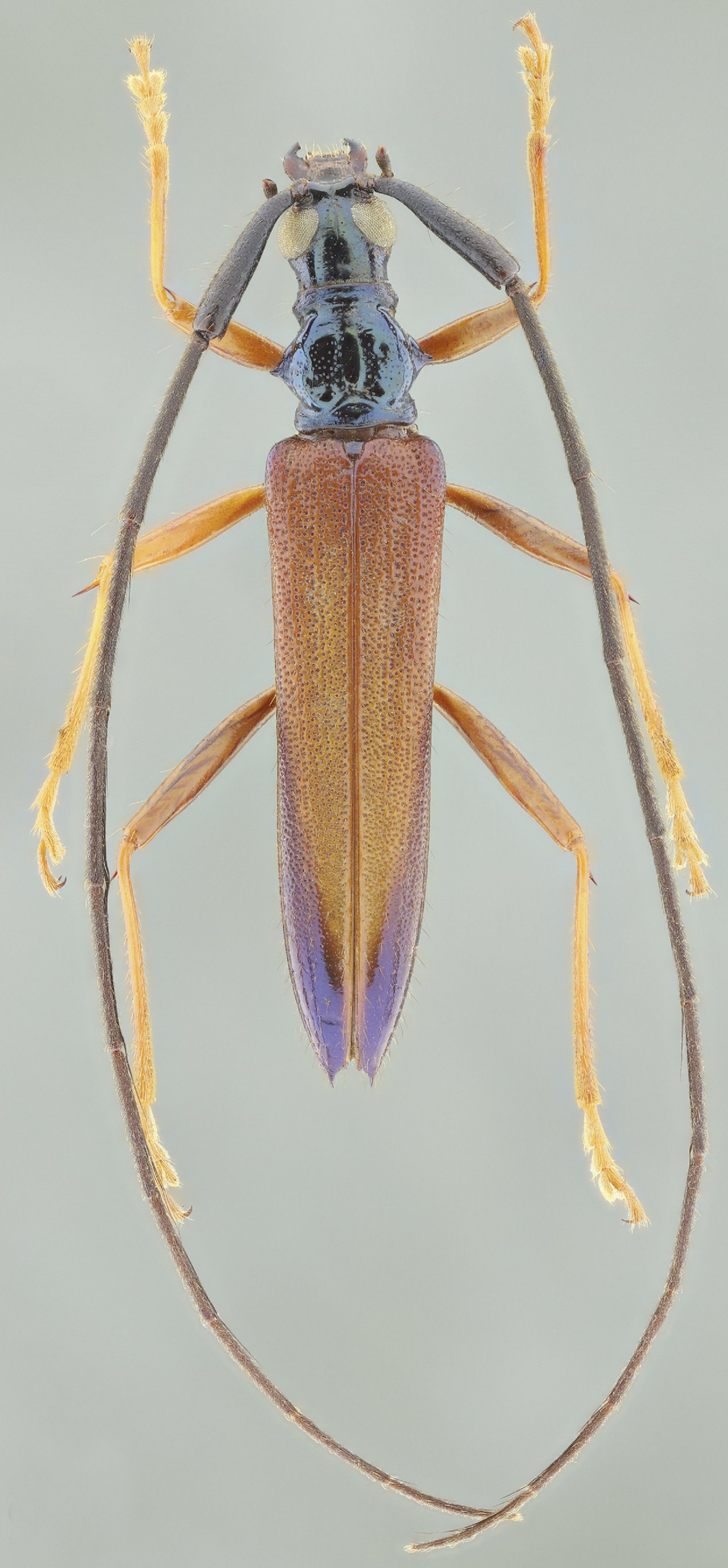
Specimen Type: paratype Sex: m Institution: MZSP Museu de Zoologia da Universidade de São Paulo, Brazil Photographer: Juan Pablo Botero & Antonio Santos-Silva Collection Location: PNN Amacayuco Matamata, Amazonas, Colombia 96491
|
 SS Hov MZSP PNN Amacayuco Matamata, Amazonas, Colombia JPB SS.jpg)
Specimen Type: paratype Sex: m Institution: MZSP Museu de Zoologia da Universidade de São Paulo, Brazil Photographer: Juan Pablo Botero & Antonio Santos-Silva Collection Location: PNN Amacayuco Matamata, Amazonas, Colombia 96492
|