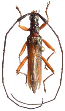
_peninsularis_holotype_male.jpg)
Specimen Type: holotype Sex: m Institution: INBC Instituto Nacional de Biodiversidad, Santo Domingo de Heredia, Heredia, Costa Rica Collection Location: Osa Peninsula, Puntarenas, Costa Rica 25759
|
 SS Hov MZSP Rancho Quemada, Osa Peninsula, Puntarenas, CR JPB SS.jpg)
Specimen Type: paratype Sex: f Institution: MZSP Museu de Zoologia da Universidade de São Paulo, Brazil Photographer: Juan Pablo Botero & Antonio Santos-Silva Collection Location: Rancho Quemada, Osa Peninsula, Puntarenas, Costa Rica 96487
|
 SS Hov MZSP Rancho Quemada, Osa Peninsula, Puntarenas, CR JPB SS.jpg)
Specimen Type: paratype Sex: f Institution: MZSP Museu de Zoologia da Universidade de São Paulo, Brazil Photographer: Juan Pablo Botero & Antonio Santos-Silva Collection Location: Rancho Quemada, Osa Peninsula, Puntarenas, Costa Rica 96488
|
|