_turnbowi_(h-m)_Santos-Silva.jpg)
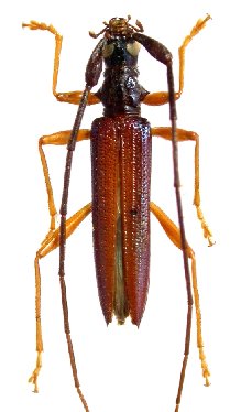
Specimen Type: holotype Sex: m Institution: USNM United States National Museum, Washington, DC, USA Photographer: Antonio Santos-Silva Collection Location: Manaus, Brazil 22303
|
_Santos-Silva_and_Hovore_ACMT_Manaus_Brazil.jpg)
Specimen Type: holotype Sex: m Institution: USNM United States National Museum, Washington, DC, USA Collection Location: Manaus, Brazil 25760
|