New Search Family, Subfamily and Tribe List
new world both worldsboth worlds old world
Family Lamiinae
SubFamily Lamiinae
Tribe Hemilophini

Genus Fredlanea


Fredlanea
aequatoria


Fredlanea
birai


Fredlanea
calliste


Fredlanea
colombiana


Fredlanea
consobrina


Fredlanea
cymatilis


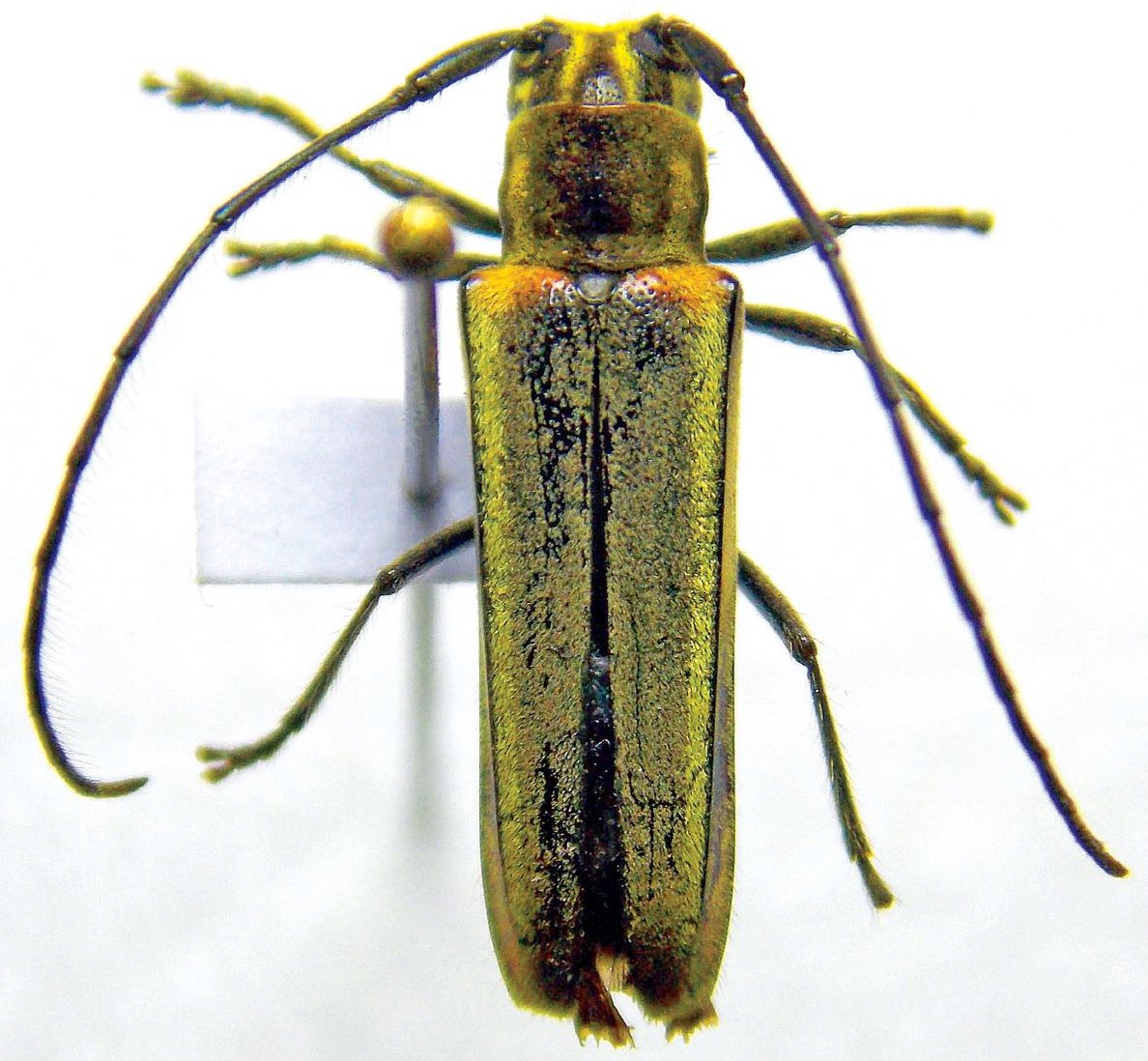
Fredlanea
flavipennis


Fredlanea
guaranitica


Fredlanea
hiekei


Fredlanea
hovorei


Fredlanea
kirschi


Fredlanea
lazulina


Fredlanea
maculata


Fredlanea
putiapitanga


Fredlanea
velutina


Fredlanea
vilhena


Fredlanea
virginea


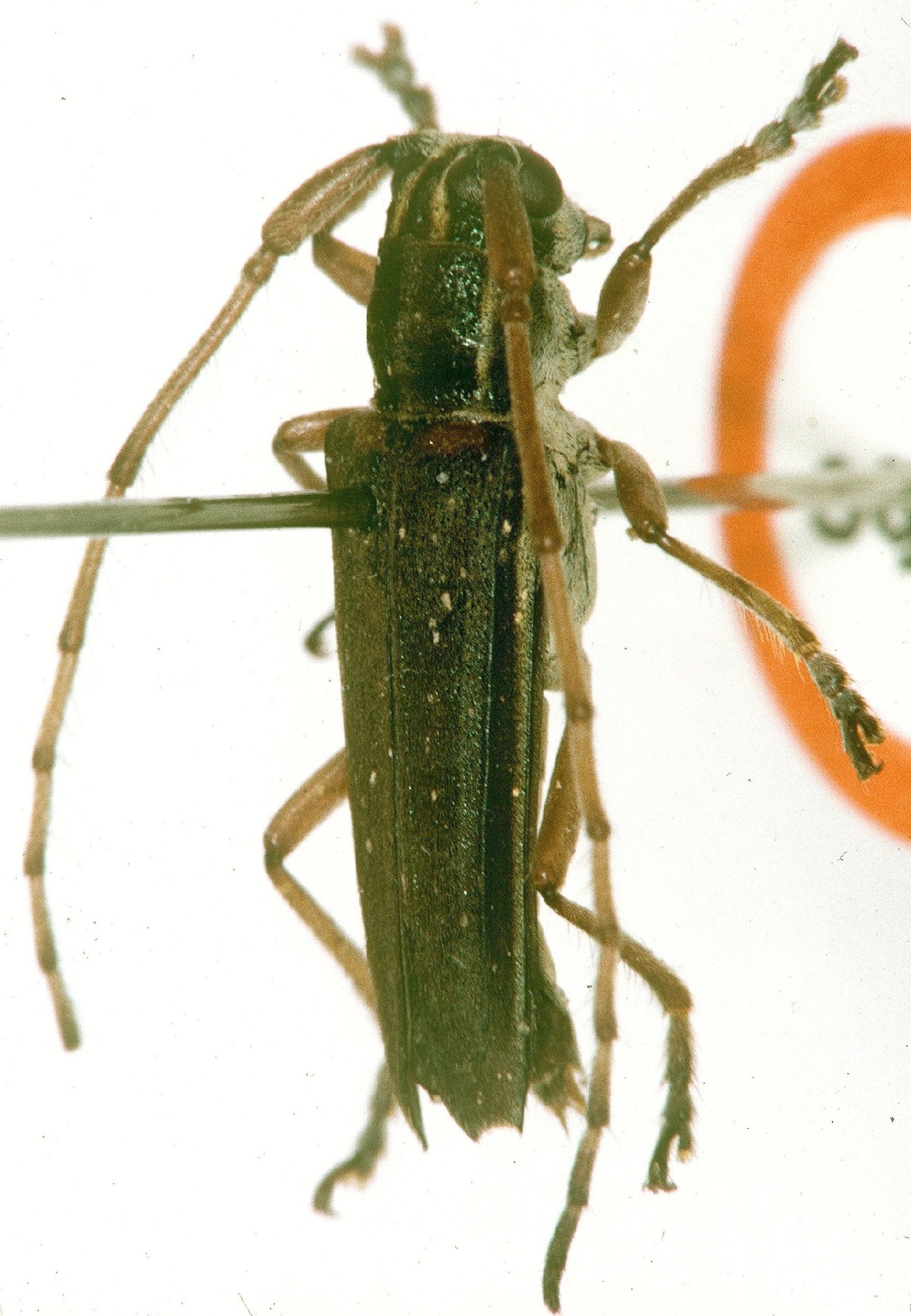
Fredlanea
viridipennis


Fredlanea
wilderi

130503