_Fuchs_HS_=_Fredlanea_velutina.jpg)
Adesmus basalis Fuchs Specimen Type: holotype Institution: HS Herbert Schmid Collection, Vienna, Austria 26038
|
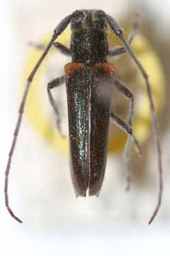
_Lane_CAS_=_Fredlanea.jpg)
Eulachnesia velutina Lane Specimen Type: paratype Institution: CAS California Academy of Sciences, San Francisco, CA, USA Collection Location: 20342
|