_Fuchs_FTH.jpg)
Specimen Type: paratype Institution: ZMHB Museum für Naturkunde der Humboldt-Universität, Berlin, Germany Collection Location: Santa Ines, Ecuador 21441
|
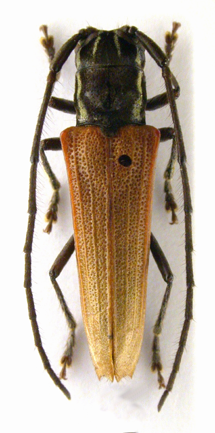
_Fuchs_MNHU_JAC.jpg)
Adesmus hiekei Fuchs Specimen Type: holotype Institution: ZMHB Museum für Naturkunde der Humboldt-Universität, Berlin, Germany Photographer: John Chemsak Collection Location: Santa Ines, Ecuador 15004
|