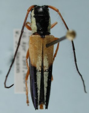
 Bates MNHN vic Cuzco, Peru now Fredlanea Moure.jpg)
Eulachnesia calliste Bates Specimen Type: holotype Sex: m Institution: MNHN Museum of Natural History Paris, France Photographer: JS Moure Collection Location: vic Cuzco, Peru 95690
|
_Fuchs_JAC_=_Fredlanea_calliste.jpg)
Adesmus albosuturalis Fuchs Specimen Type: holotype Institution: HS Herbert Schmid Collection, Vienna, Austria Photographer: John Chemsak Collection Location: San Augustin, Mapiri, Bolivia 15000
|
 Auriv NHRS San Firmin, Santa Cruz, Bolivia now Fred calliste Moure.jpg)
Amphionycha holmgreni Aurivillius Specimen Type: syntype Sex: f Institution: NHRS Naturhistoriska Riksmuseet, Stockholm, Sweden Photographer: JS Moure Collection Location: San Firmin, Santa Cruz, Bolivia 95269
|
 Auriv NHRS San Firmin, Santa Cruz, Bolivia now Fred calliste Moure.jpg)
Amphionycha holmgreni Aurivillius Specimen Type: syntype Sex: f Institution: NHRS Naturhistoriska Riksmuseet, Stockholm, Sweden Photographer: JS Moure Collection Location: San Firmin, Santa Cruz, Bolivia 95270
|
_Huanuco_Peru_LGB.jpg)
Institution: LGBC Larry G. Bezark Collection, Sacramento, California, USA Photographer: Larry G. Bezark Collection Location: Tingo Maria National Park, Huanuco, Peru 22759
|
_Det_Chemsak_Monzon_Valley_Peru_UCB_100054.jpg)
Institution: UCB Essig Museum of Entomology, Berkeley, California, USA Photographer: Larry G. Bezark Determiner: Chemsak Collection Location: Monzon Valley, Peru 7933
|
|