_SS_TAMU_Otanche_Boyaca_Colombia_SS.jpg)
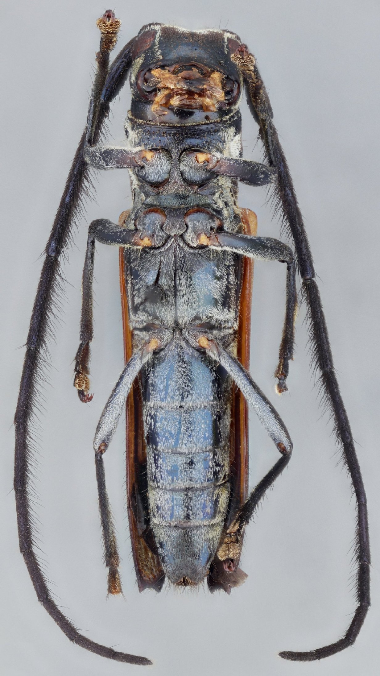
Specimen Type: holotype Sex: m Institution: TAMU Texas A & M University, College Station, Texas, USA Photographer: Antonio Santos-Silva Collection Location: Otanche, Boyaca, Colombia 72486
|
_SS_TAMU_Otanche_Boyaca_Colombia_SS.jpg)
Specimen Type: holotype Sex: m Institution: TAMU Texas A & M University, College Station, Texas, USA Photographer: Antonio Santos-Silva Collection Location: Otanche, Boyaca, Colombia 72487
|
_SS_TAMU_Otanche_Boyaca_Colombia_SS.jpg)
Specimen Type: holotype Sex: m Institution: TAMU Texas A & M University, College Station, Texas, USA Photographer: Antonio Santos-Silva Collection Location: Otanche, Boyaca, Colombia 72488
|
_SS_TAMU_Otanche_Boyaca_Colombia_SS.jpg)
Specimen Type: holotype Sex: m Institution: TAMU Texas A & M University, College Station, Texas, USA Photographer: Antonio Santos-Silva Collection Location: Otanche, Boyaca, Colombia 72489
|
 SS Heff Bot Nasc Ramirez Coll El Milagro, Loreto, Peru SS.jpg)
Sex: f Institution: Ramirez Collection Photographer: Antonio Santos-Silva Collection Location: El Milagro, Loreto, Peru 100680
|
|