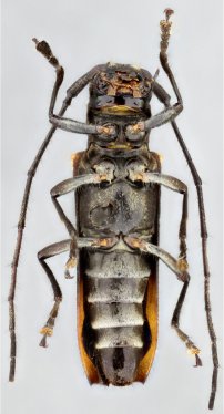
_Gal_SS_MNRJ_Las_Palmeras_Pichincha_Ec.jpg)
Specimen Type: holotype Sex: m Institution: MNRJ Museu Nacional Universidade do Rio Janeiro, Brazil Photographer: Antonio Santos-Silva Collection Location: Las Palmeras, Pichincha, Ecuador 52605
|
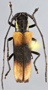
_Gal_SS_MNRJ_Las_Palmeras_Pichincha_Ec.jpg)
Specimen Type: holotype Sex: m Institution: MNRJ Museu Nacional Universidade do Rio Janeiro, Brazil Photographer: Antonio Santos-Silva Collection Location: Las Palmeras, Pichincha, Ecuador 52606
|
_Gal_SS_MNRJ_Las_Palmeras_Pichincha_Ec.jpg)
Specimen Type: holotype Sex: m Institution: MNRJ Museu Nacional Universidade do Rio Janeiro, Brazil Photographer: Antonio Santos-Silva Collection Location: Las Palmeras, Pichincha, Ecuador 52607
|
_Gal_SS_MNRJ_Las_Palmeras_Pichincha_Ec.jpg)
Specimen Type: holotype Sex: m Institution: MNRJ Museu Nacional Universidade do Rio Janeiro, Brazil Photographer: Antonio Santos-Silva Collection Location: Las Palmeras, Pichincha, Ecuador 52608
|
|