New Search
Family, Subfamily and Tribe List
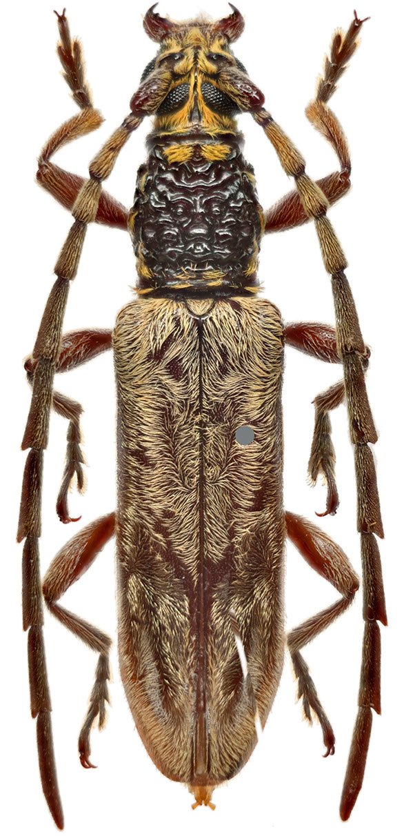
Family
Cerambycinae
SubFamily
Cerambycinae
Tribe
Cerambycini
Genus
Mimimbrius
Mimimbrius
dembickyi
Mimimbrius
geminatus
Mimimbrius
micaceus
Mimimbrius
sabahensis
Mimimbrius
subargenteus
130503