_DJH.jpg)
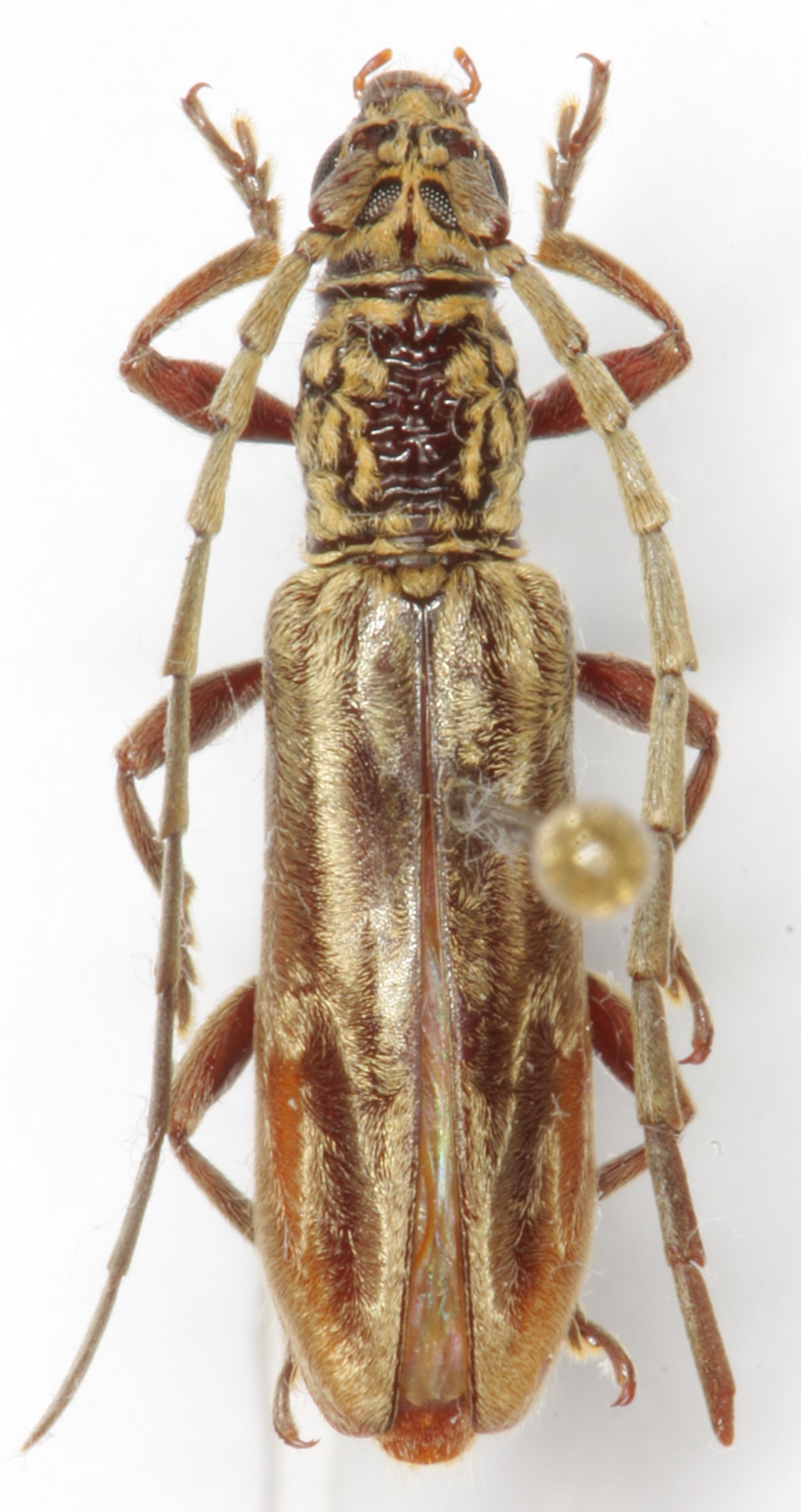
Imbrius geminatus Holzschuh Specimen Type: holotype Sex: f Institution: Holzschuh Collection Photographer: Lubo Dembický Collection Location: Mt Trus Madi, Sabah, Borneo 51241
|
_Holzschuh_Sabah_now_Mimibrius.jpg)
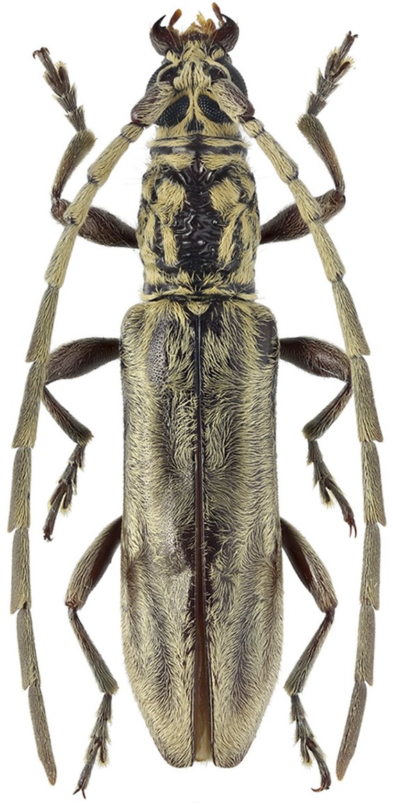
Imbrius geminatus Holzschuh Specimen Type: paratype Sex: m Institution: Heffern Collection Photographer: Dan Heffern Collection Location: Sabah, Borneo 71846
|
 (Holzschuh) Mt Trus Madi, Crocker Range, Sabah, Borneo Mirosh.jpg)
Sex: f Photographer: Alexandr Miroshnikov Collection Location: Mt Trus Madi, Kenigau District, Sabah, Borneo 79447
|

Institution: LGBC Larry G. Bezark Collection, Sacramento, California, USA Photographer: Larry G. Bezark Collection Location: Mt Trus Madi, Sabah, Borneo 51242
|
|