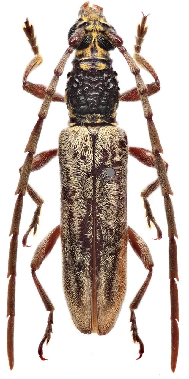
_Mirosh_Heff_Coll_Crocker_Range_Sabah_Borneo.jpg)
Specimen Type: holotype Sex: m Institution: Heffern Collection Photographer: Miroshnikov Collection Location: Crocker Range, Sabah, Borneo 70765
|
_Mirosh_Coll_Heff_Mt_Trus_Madi_Sabah_Borneo.jpg)
Specimen Type: paratype Sex: f Institution: Miroshnikov Collection Photographer: Miroshnikov Collection Location: Mt Trus Madi, Sabah, Borneo 70766
|