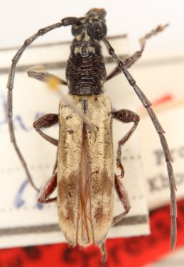
_Gress_Rond_BPBM_Phou_Khao_Khoay_North_of_Vientiane_Laos_now_Mimimbrius.jpg)
Zegriades subargenteus Gressitt & Rondon Specimen Type: holotype Sex: m Institution: BPBM Bernice P. Bishop Museum, Honolulu, Hawaii, USA Photographer: Miroshnikov Collection Location: Phou Khao Khoay, North of Vientiane, Laos 70769
|
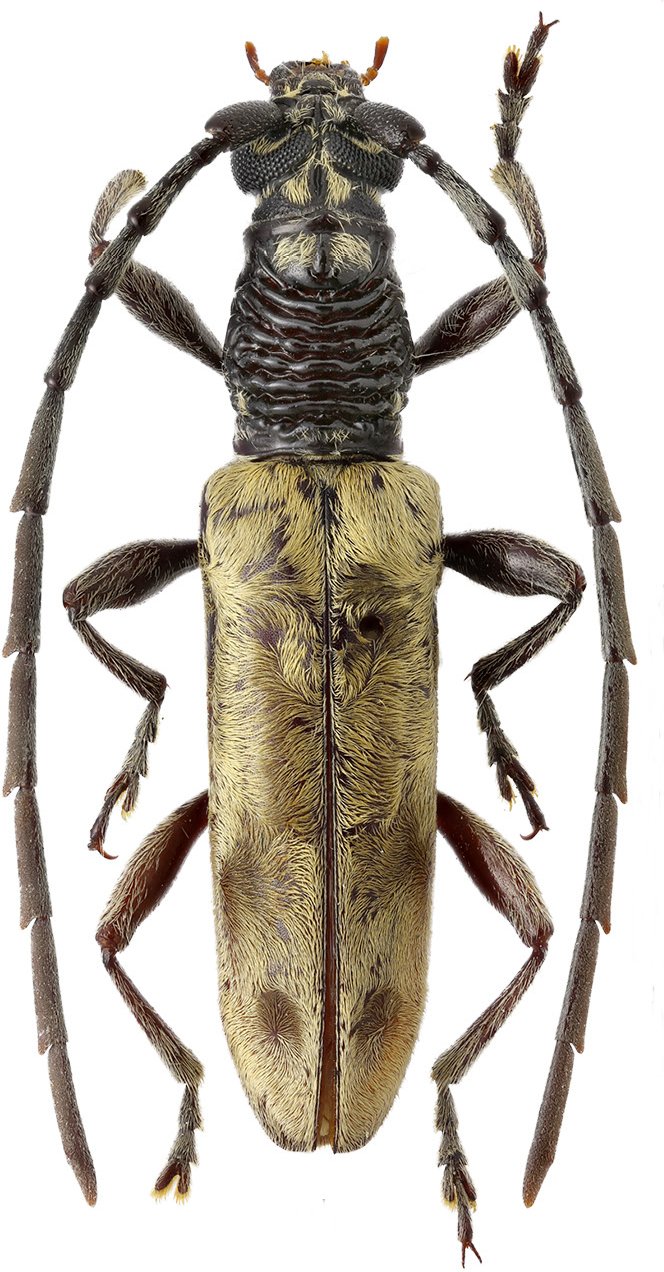
_Gressitt_Rond_BPBM_Nobuo_Ohbay.jpg)
Zegriades subargenteus Gressitt & Rondon Specimen Type: holotype Sex: m Institution: BPBM Bernice P. Bishop Museum, Honolulu, Hawaii, USA Photographer: Nobuo Ohbayashi Collection Location: Phou Khao Khoay, North of Vientiane, Laos 45518
|
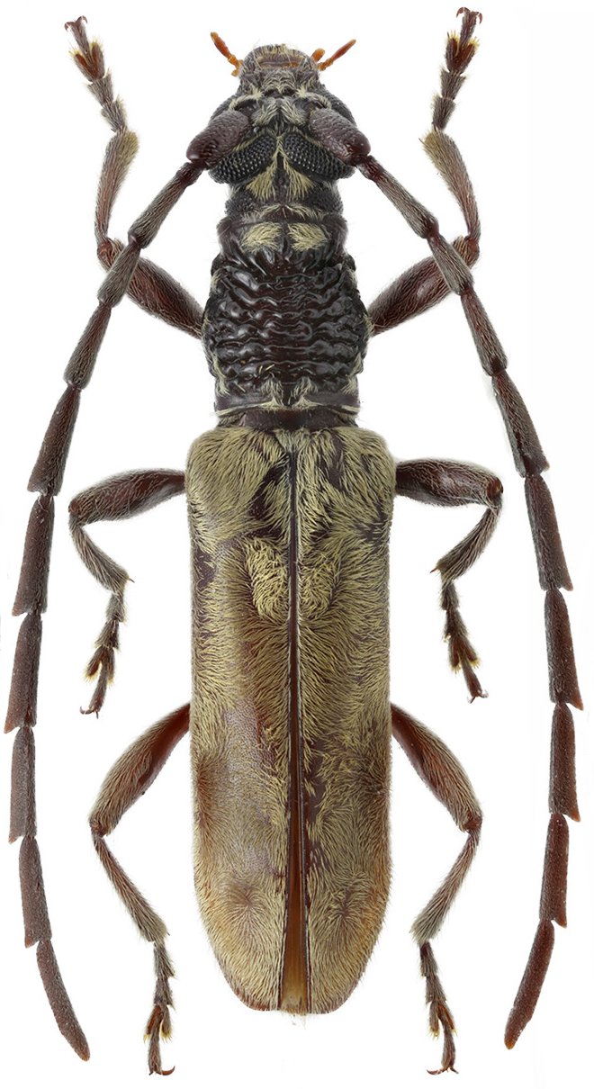
_(Gress_Rond)_Lamphun_Mae_Tha_N_Thailand_Mirosh.jpg)
Sex: m Photographer: Miroshnikov Collection Location: Lamphun, Mae Tha, N Thailand 70767
|
_(Gress_Rond)_Lamphun_Mae_Tha_N_Thailand_Mirosh.jpg)
Sex: m Photographer: Miroshnikov Collection Location: Lamphun, Mae Tha, N Thailand 70768
|
|