New Search Family, Subfamily and Tribe List

SubFamily Cerambycinae

Tribe Cerambycini
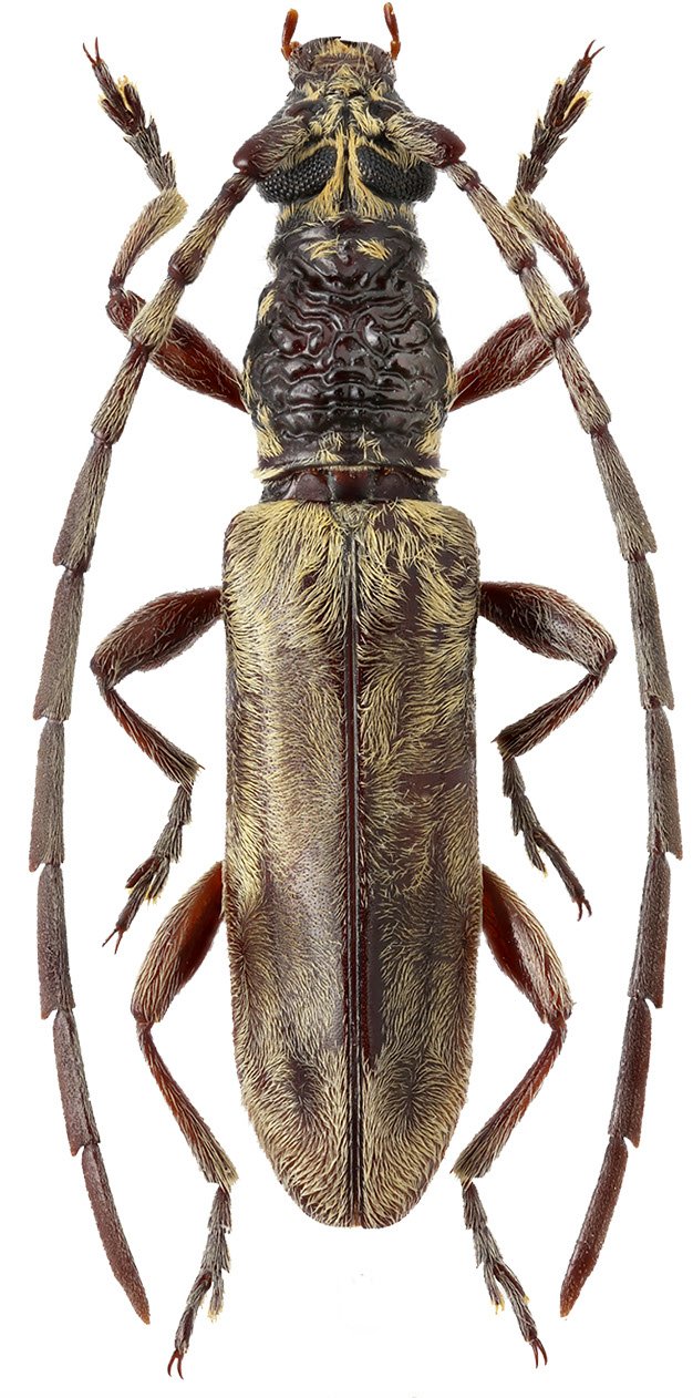
Mimimbrius dembickyi Miroshnikov 2017

Specimen Type: holotype
Sex: m
Institution: Dembicky Collection
Photographer: Miroshnikov
Collection Location: Khao Luang, Kiriwong, Nakhong Si Thammarat Province, Thailand
70764

130425