New Search Family, Subfamily and Tribe List
new world both worldsboth worlds old world
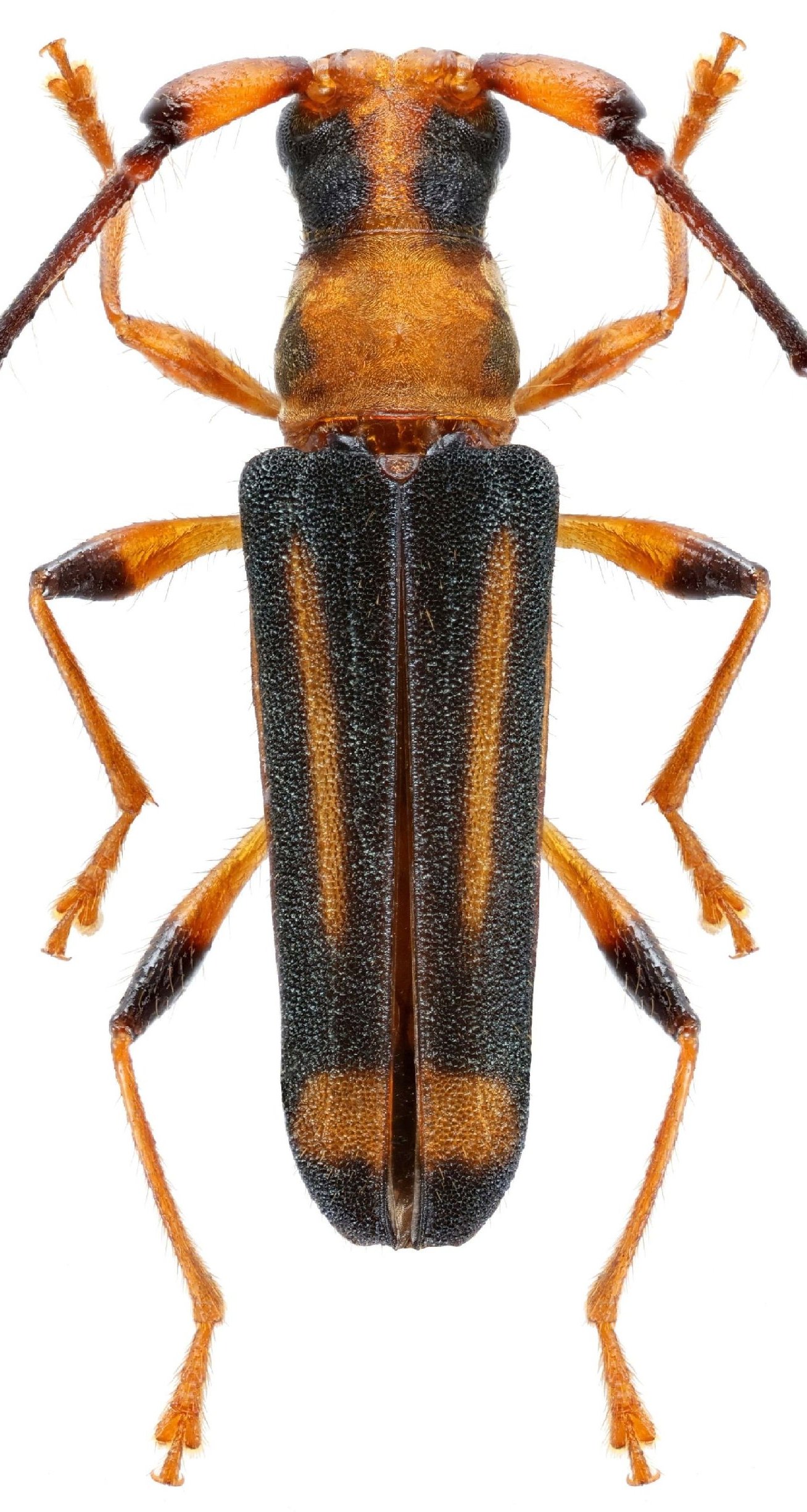
Family Cerambycinae
SubFamily Cerambycinae
Tribe Dodecosini

Genus Olexandrella


Olexandrella
bondili


Olexandrella
frederici


Olexandrella
rafaeli


Olexandrella
serotina

130503