New Search Family, Subfamily and Tribe List

SubFamily Cerambycinae

Tribe Dodecosini
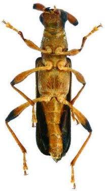
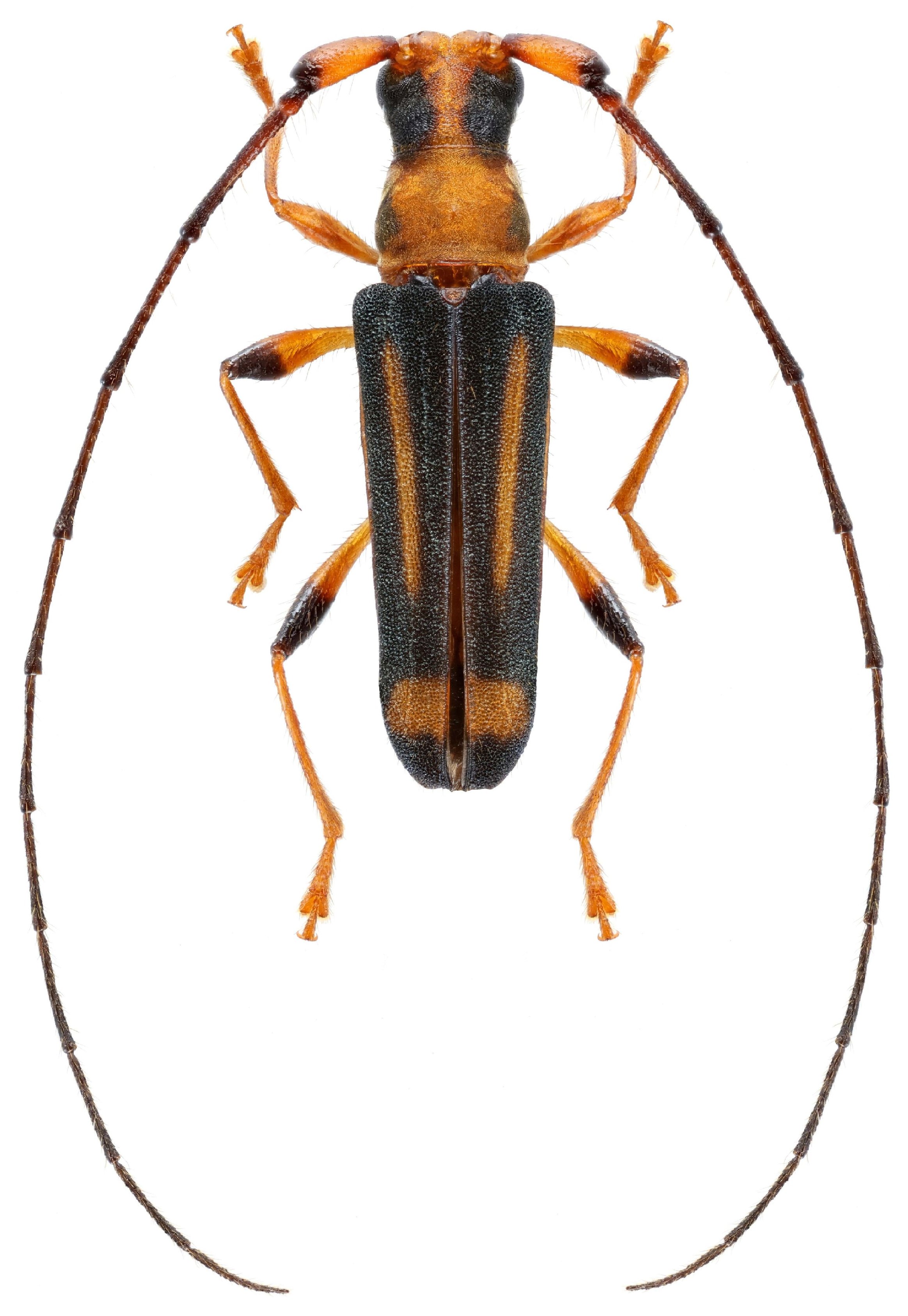
Olexandrella frederici Dalens, Giuglaris & Tavakilian 2010

Specimen Type: paratype
Photographer: Jean-Louis Giuglaris
Collection Location: Kaw, French Guiana
28938


Specimen Type: paratype
Sex: m
Collection Location: French Guiana
28493


Sex: m
Photographer: Frédéric Robin
Collection Location: Montagne des Chevaux, French Guiana
80533

130425