New Search Family, Subfamily and Tribe List

SubFamily Cerambycinae

Tribe Dodecosini
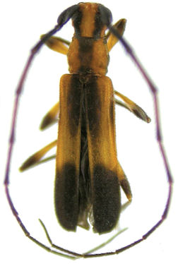
Olexandrella rafaeli Galileo & Martins 2011

Specimen Type: holotype
Sex: f
Institution: INPA Instituto Nacional de Pesquisas da Amazonia, Manaus, Brazil
Collection Location: Vilhena, Rodonia. Brazil
31199

130425