
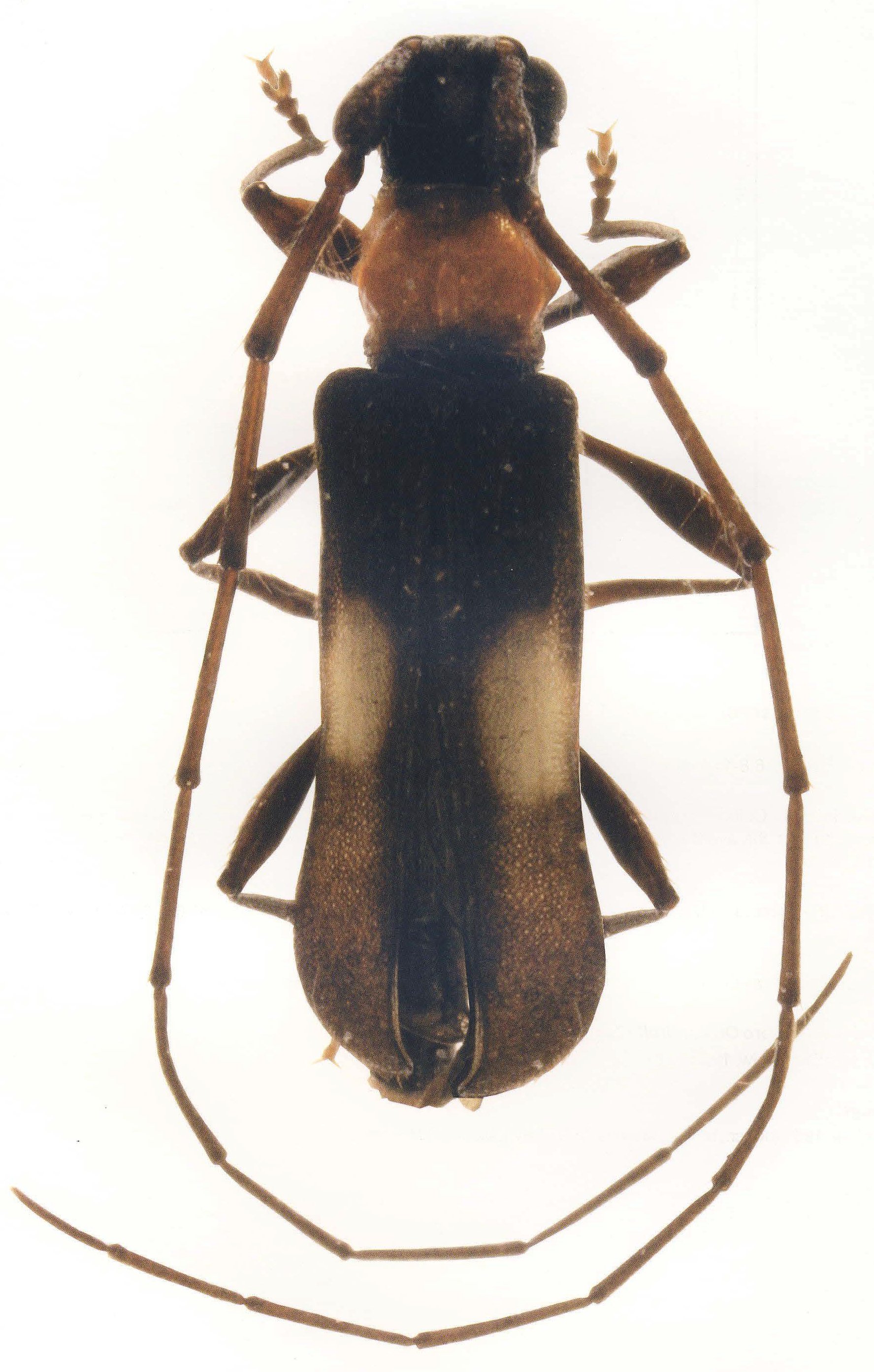
Specimen Type: holotype Sex: m Institution: MNRJ Museu Nacional Universidade do Rio Janeiro, Brazil Photographer: Steve Lingafelter Collection Location: Corcovado, Rio de Janeiro, Brazil 11063
|
_Zajciw_Ceram_Sul_Americanos.jpg)
Sex: m 21411
|

Determiner: S American Cerambycidae Supplement 1 55604
|
|