New Search
Family, Subfamily and Tribe List
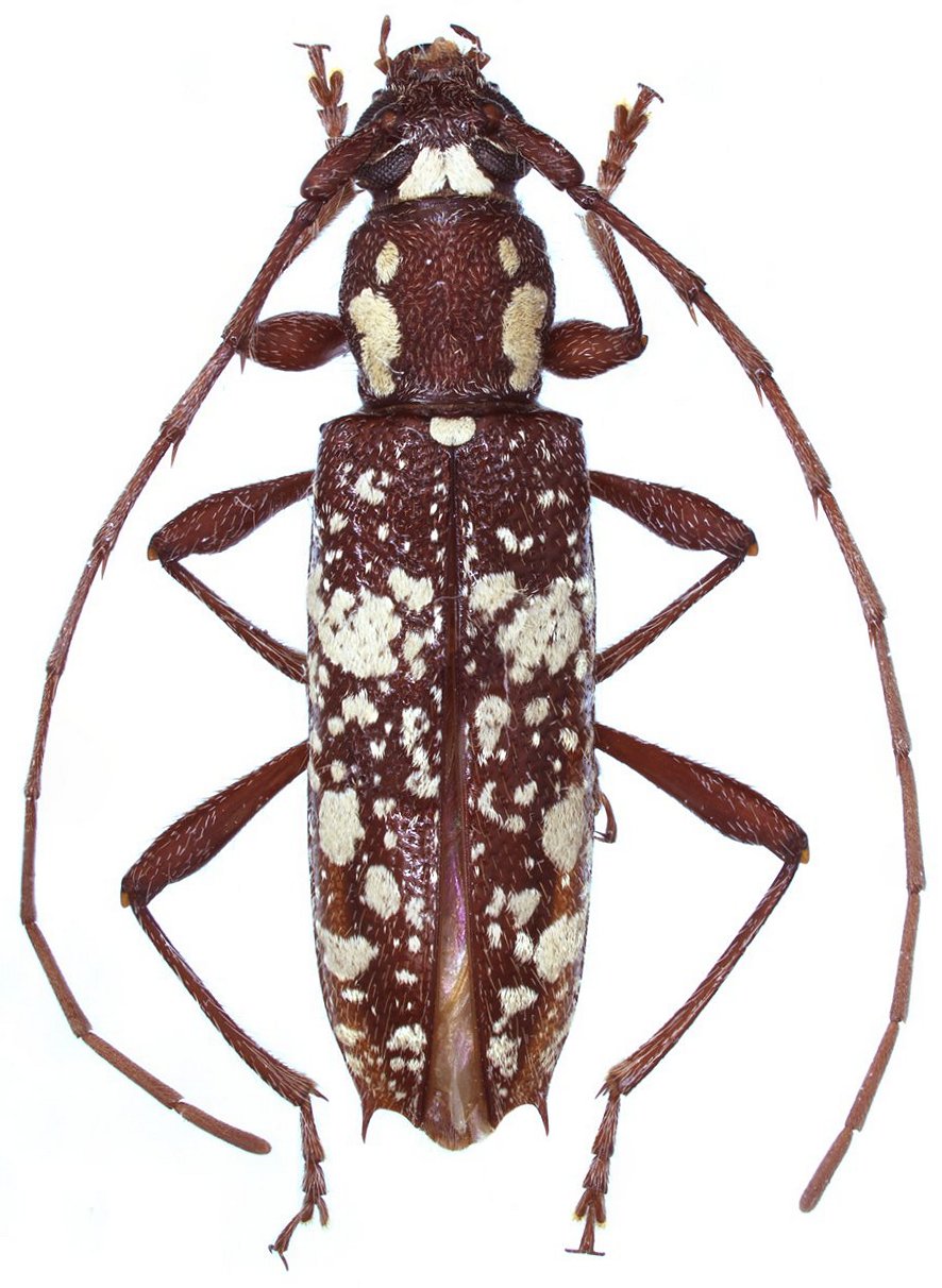
Family
Cerambycinae
SubFamily
Cerambycinae
Tribe
Elaphidiini
Genus
Linsleyonides
Linsleyonides
albomaculatus
Linsleyonides
chemsaki
Linsleyonides
guerreroi
Linsleyonides
portoricensis
130503