_FSCA.jpg)
Institution: FSCA Florida State Collection of Arthropods, Gainesville, FL, USA Photographer: Mike Thomas 1740
|
_Homestead_Florida_LGB.jpg)
Photographer: Larry G. Bezark Collection Location: Homestead, Florida 1741
|
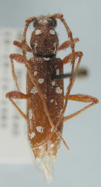
_FL_UCB.jpg)
Institution: UCB Essig Museum of Entomology, Berkeley, California, USA Photographer: Larry G. Bezark Collection Location: Florida 1742
|
_Key_Largo_Florida_Giesbert_Coll_FSCA.jpg)
Institution: EMG Ed Giesbert Collection (now at FSCA) Photographer: Mike Thomas Collection Location: Key Largo, Florida 1743
|
|